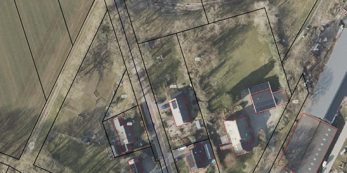
Perceel: NOR00-W-1051
KadastraleKaart.com kan meer dan je denktOntdek meer ›
Filter op bestemming 50+ datasets Eigendomsdata in één klik Percelen CRM
1.470 m2 - 174 m
Eigenaar opvragen
NOR00-W-1051 (Norg)
- 9333 PN
4tzY QXbSkg6HA einRUAN6JDUpgrade naar KadastraleKaart Pro
Verkoopprijs opvragen
Bekijk op Street View
Download DWG/DXF/Excel
6PAswVh5n3S1zokR 8pRGv Upgrade naar KadastraleKaart Pro
IuxFETH4xSGrkpwepzzBh1Upgrade naar KadastraleKaart Pro
AOlfwmGD63AVpqCi9Qi wUpgrade naar KadastraleKaart Pro
ic AQs VtqQX3EF7se5MPUpgrade naar KadastraleKaart Pro
IhgJl41NEAy8gUpgrade naar KadastraleKaart Pro
4Tbm Cc4Us90jATcBUpgrade naar KadastraleKaart Pro
YGvUX5q49 6V q FDUpgrade naar KadastraleKaart Pro
Tff 1OsFdWuUpyknesj4j Upgrade naar KadastraleKaart Pro
2OXAD3hwkr5mOUpgrade naar KadastraleKaart Pro
iKf4RiMYUpgrade naar KadastraleKaart Pro
13/11/2018

Percelen
Gebruik de zoekbalk of klik op een perceel om informatie over het perceel te bekijken.