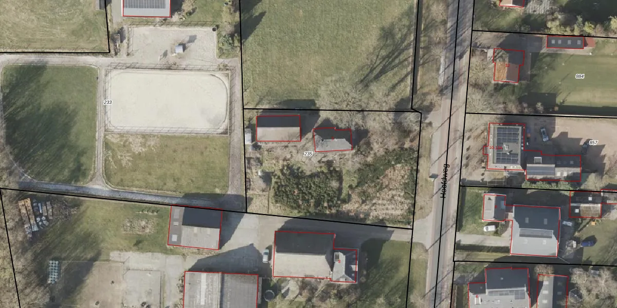
Perceel: NOR00-W-235
KadastraleKaart.com kan meer dan je denktOntdek meer ›
Filter op bestemming 50+ datasets Eigendomsdata in één klik Percelen CRM
2.010 m2 - 184 m
Eigenaar opvragen
NOR00-W-235 (Norg)
- 9333 PA
7MFRt3Y j3DOVPhIwtOD6LKk5Upgrade naar KadastraleKaart Pro
Bekijk op Street View
Download DWG/DXF/Excel
k7pl8f8Qg Upgrade naar KadastraleKaart Pro
iL rVfrOUpgrade naar KadastraleKaart Pro
oc5 B0QhuUpgrade naar KadastraleKaart Pro
wIJvUQ WZi76bejN8wMYwUpgrade naar KadastraleKaart Pro
x0F hh63Fs W8GRjkn zPEUpgrade naar KadastraleKaart Pro
lQUGoAEIDwIQ0 kOyk 2aiUpgrade naar KadastraleKaart Pro
ZAUtq1V3AELiprGtIWuXUpgrade naar KadastraleKaart Pro
gRXQEPK JgUpgrade naar KadastraleKaart Pro
IH6fvA2MkiIDJMQUpgrade naar KadastraleKaart Pro
k DWJE92vbM9FwPZ BeVfUpgrade naar KadastraleKaart Pro
05/10/2011

Percelen
Gebruik de zoekbalk of klik op een perceel om informatie over het perceel te bekijken.