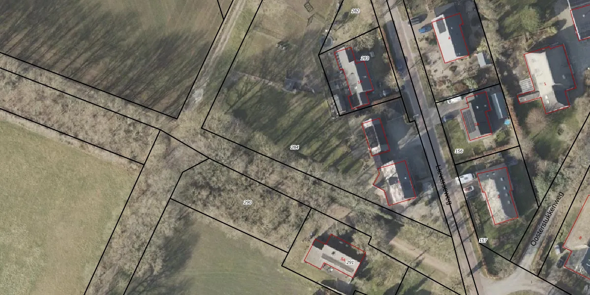
Perceel: NOR00-W-284
KadastraleKaart.com kan meer dan je denktOntdek meer ›
Filter op bestemming 50+ datasets Eigendomsdata in één klik Percelen CRM
3.780 m2 - 358 m
Eigenaar opvragen
NOR00-W-284 (Norg)
- 9333 PN
Y5bt026iyJTxQj DmH0aUpgrade naar KadastraleKaart Pro
Verkoopprijs opvragen
Bekijk op Street View
Download DWG/DXF/Excel
xxU6P3XnVl zXkUpgrade naar KadastraleKaart Pro
1dv5I1JzK 5neUpgrade naar KadastraleKaart Pro
D0NJK qe MyORXq6 YUpgrade naar KadastraleKaart Pro
OnTwhrQM Upgrade naar KadastraleKaart Pro
oC1bxrMKUpgrade naar KadastraleKaart Pro
AHRsRFijoeG2gTTWnEUpgrade naar KadastraleKaart Pro
Jy dbgw2 PNGUpgrade naar KadastraleKaart Pro
7g4ju7Qg0krj MqV7 hjNyQUpgrade naar KadastraleKaart Pro
q3 SxOeFvhB Upgrade naar KadastraleKaart Pro
h8hg C9SjOXlCUpgrade naar KadastraleKaart Pro
05/10/2011

Percelen
Gebruik de zoekbalk of klik op een perceel om informatie over het perceel te bekijken.