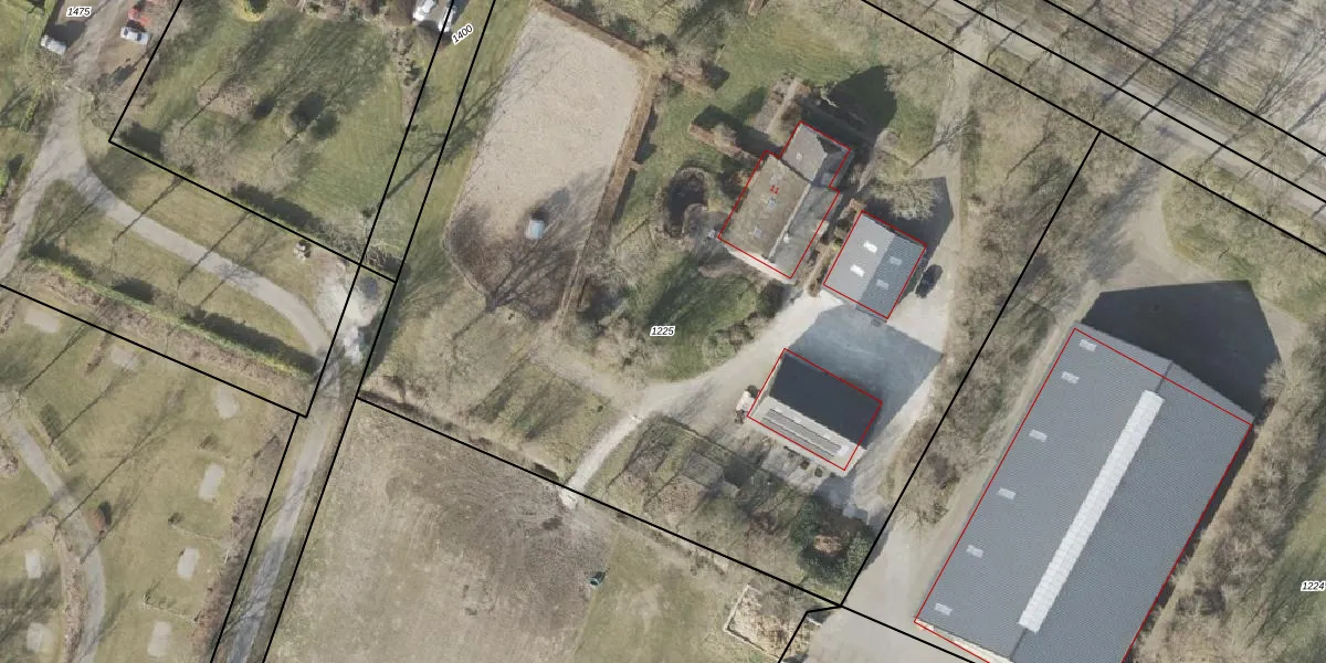
Perceel: NOR00-X-1225
7.435 m2 - 346 m
Eigenaar opvragen
NOR00-X-1225 (Norg)
- 9343 TB
KZVAhkkv 0z 35 QHvUJAbJgDUpgrade naar KadastraleKaart Pro
Bekijk op Street View
Download DWG/DXF/Excel
LSNbo mzEJq Upgrade naar KadastraleKaart Pro
A7QuWkJ fPPu FfyDUpgrade naar KadastraleKaart Pro
covSfrSt9bUpgrade naar KadastraleKaart Pro
o iTH 7r2NSKcpmNYJ6BqUpgrade naar KadastraleKaart Pro
TI D0A4KUpgrade naar KadastraleKaart Pro
k IqeuMFN Tkb02tTuUpgrade naar KadastraleKaart Pro
j3ATbrXofSUTJPAaZo r l Upgrade naar KadastraleKaart Pro
BdKdv9SpUpgrade naar KadastraleKaart Pro
1iWhRJGpJqE vdHUpgrade naar KadastraleKaart Pro
cSSvVOtEGEpfOffdUpgrade naar KadastraleKaart Pro
06/07/2020

Percelen
Gebruik de zoekbalk of klik op een perceel om informatie over het perceel te bekijken.