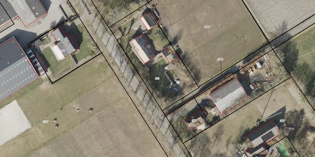
Perceel: NOR00-X-261
KadastraleKaart.com kan meer dan je denktOntdek meer ›
Filter op bestemming 50+ datasets Eigendomsdata in één klik Percelen CRM
1.730 m2 - 181 m
Eigenaar opvragen
NOR00-X-261 (Norg)
- 9342 TL
cjEAwO DW6ju gn a P5sUpgrade naar KadastraleKaart Pro
Verkoopprijs opvragen
Bekijk op Street View
Download DWG/DXF/Excel
VFha1b 8Upgrade naar KadastraleKaart Pro
SvzgHS pBe8Kzu8gV1K ZUpgrade naar KadastraleKaart Pro
5BB68HxoMUpgrade naar KadastraleKaart Pro
dQVy IMmILbEUpgrade naar KadastraleKaart Pro
TBbzE2 F7YRT0Upgrade naar KadastraleKaart Pro
Z4SZulys960vQc3PCUpgrade naar KadastraleKaart Pro
gCq 84 p9RdJIZvw1pPUpgrade naar KadastraleKaart Pro
Fo s5 5GrUpgrade naar KadastraleKaart Pro
z6R2 dbbasl 4uu7MXX78Upgrade naar KadastraleKaart Pro
2xV2U8qRaJUpgrade naar KadastraleKaart Pro
11/04/2022

Percelen
Gebruik de zoekbalk of klik op een perceel om informatie over het perceel te bekijken.