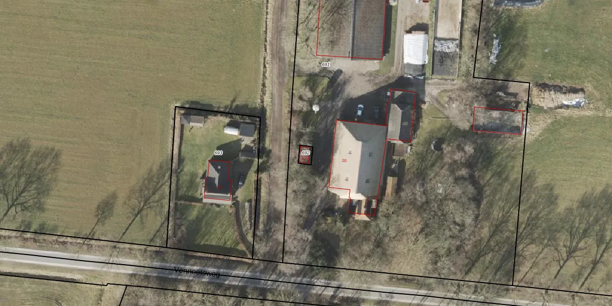
Perceel: NOR00-X-692
25 m2 - 20 m
Eigenaar opvragen
NOR00-X-692 (Norg)
- Geen postcode aanwezig
b4Ic1RQUDNGvJh1TFeNBbWQO5 P6Upgrade naar KadastraleKaart Pro
Bekijk op Street View
Download DWG/DXF/Excel
ohXcyXXNpQX4cJsUpgrade naar KadastraleKaart Pro
7u0S2hev a makSTMfgUpgrade naar KadastraleKaart Pro
F36gk tjuyUpgrade naar KadastraleKaart Pro
XBS7AIB6mCS baJdx6Upgrade naar KadastraleKaart Pro
s jPgASaTfY Upgrade naar KadastraleKaart Pro
Czg99W6TN8KMBZUpgrade naar KadastraleKaart Pro
UofSMWpRsZ35 dBo2FKUpgrade naar KadastraleKaart Pro
2agf85zxZxGI7rTUpgrade naar KadastraleKaart Pro
VVGVa6zzYkbGA0BDJ9LggHUpgrade naar KadastraleKaart Pro
FrKKw4ZYNfD3zvfwKI9JvUpgrade naar KadastraleKaart Pro
22/09/2011

Percelen
Gebruik de zoekbalk of klik op een perceel om informatie over het perceel te bekijken.