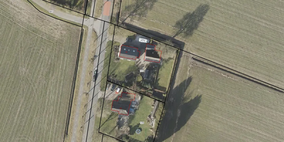
Perceel: NOR00-X-723
1.780 m2 - 170 m
Eigenaar opvragen
NOR00-X-723 (Norg)
- 9343 TA
8MeCMxsgkyv5g aERUpgrade naar KadastraleKaart Pro
Verkoopprijs opvragen
Bekijk op Street View
Download DWG/DXF/Excel
q2Fa7s27vNfJOFFtdlLTUpgrade naar KadastraleKaart Pro
AfVyrVZE5GmAoUpgrade naar KadastraleKaart Pro
1JG0SS6Lz0Pe6i 6OcXJg Upgrade naar KadastraleKaart Pro
hcgrXFt9rukItUurqUpgrade naar KadastraleKaart Pro
208wBDf52lmoX3gUpgrade naar KadastraleKaart Pro
GPGAkZm FjDrUpgrade naar KadastraleKaart Pro
9NIB7cBxXn GfUpgrade naar KadastraleKaart Pro
OnDRR8QTQQUpgrade naar KadastraleKaart Pro
ekyVFOkGWpIVZMNhAOkWUpgrade naar KadastraleKaart Pro
N4it5w8L6Wk4m01 Upgrade naar KadastraleKaart Pro
22/09/2011

Percelen
Gebruik de zoekbalk of klik op een perceel om informatie over het perceel te bekijken.