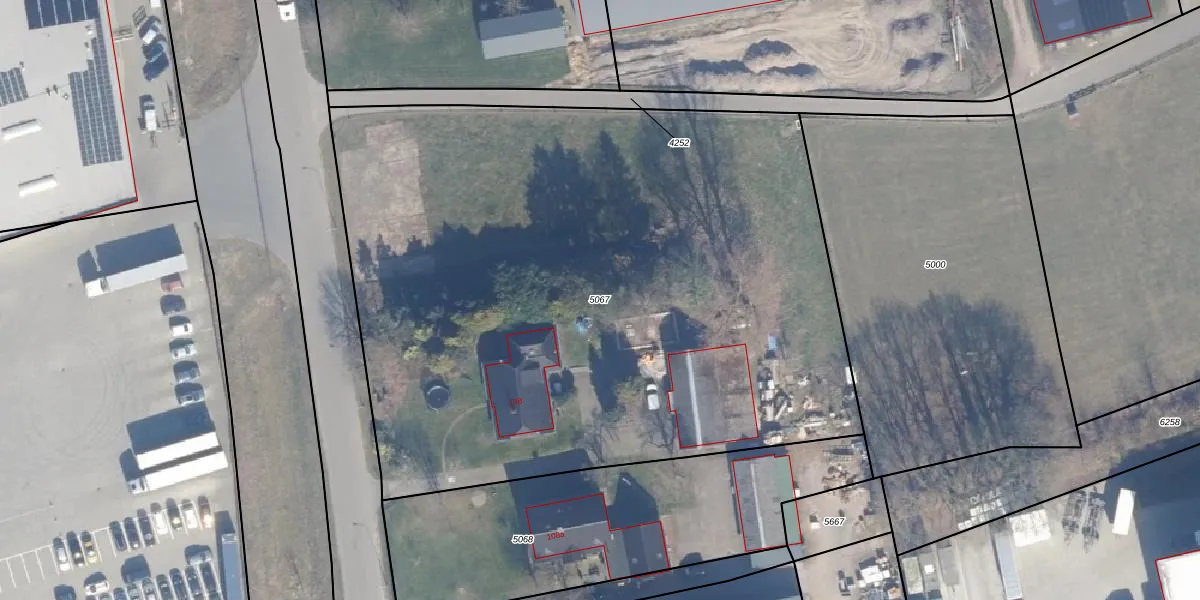
Perceel: NST01-A-5067
5.120 m2 - 280 m
Eigenaar opvragen
NST01-A-5067 (Nunspeet)
- 8072 PD
Wf3hRLYOTEhSevpvptcWPZgUpgrade naar KadastraleKaart Pro
Verkoopprijs opvragen
Bekijk op Street View
Download DWG/DXF/Excel
RkvzJWB0H6a uBamILUpgrade naar KadastraleKaart Pro
5VUnqHURnundx MUTv jU7xUpgrade naar KadastraleKaart Pro
o1v dG3 dffa 1LVUpgrade naar KadastraleKaart Pro
c0Nft6Iq138DJMneUpgrade naar KadastraleKaart Pro
Xz IdFUaUpgrade naar KadastraleKaart Pro
SWF0i30 QkOUpgrade naar KadastraleKaart Pro
Le vSqAlXoOv8R EvJYJeoUpgrade naar KadastraleKaart Pro
Wi8ObHPrsq17Upgrade naar KadastraleKaart Pro
Ki1c3fpmzJUhUpgrade naar KadastraleKaart Pro
pHiZPgG7FvkkDTpSnUpgrade naar KadastraleKaart Pro
25/07/2002

Percelen
Gebruik de zoekbalk of klik op een perceel om informatie over het perceel te bekijken.