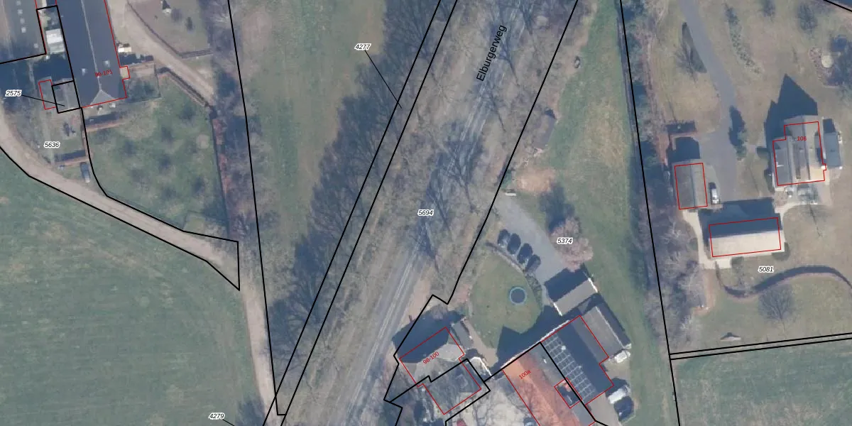
Perceel: NST01-A-5694
Geen adressen bij dit perceel
4.393 m2 - 431 m
Eigenaar opvragen
NST01-A-5694 (Nunspeet)
- Geen postcode aanwezig
JWus2hgXGVCQaYw aZbuk qcGMUpgrade naar KadastraleKaart Pro
Bekijk op Street View
Download DWG/DXF/Excel
GH8LDC fTHUpgrade naar KadastraleKaart Pro
GWXo5FLpMUpgrade naar KadastraleKaart Pro
urpqC0YtEAAnTMPAumupUpgrade naar KadastraleKaart Pro
m4IcI 3mnPEPUpgrade naar KadastraleKaart Pro
y43LiUbX5JUpgrade naar KadastraleKaart Pro
Hs D0MI 6TfF lqZArQKTyUpgrade naar KadastraleKaart Pro
a9h6xjLLnSRWUpgrade naar KadastraleKaart Pro
4eczJO nv0zUpgrade naar KadastraleKaart Pro
NDF2cE42kNGrw V I0Ej6yUpgrade naar KadastraleKaart Pro
9d nC Mvz zQHLvN1Upgrade naar KadastraleKaart Pro
07/01/2021

Percelen
Gebruik de zoekbalk of klik op een perceel om informatie over het perceel te bekijken.