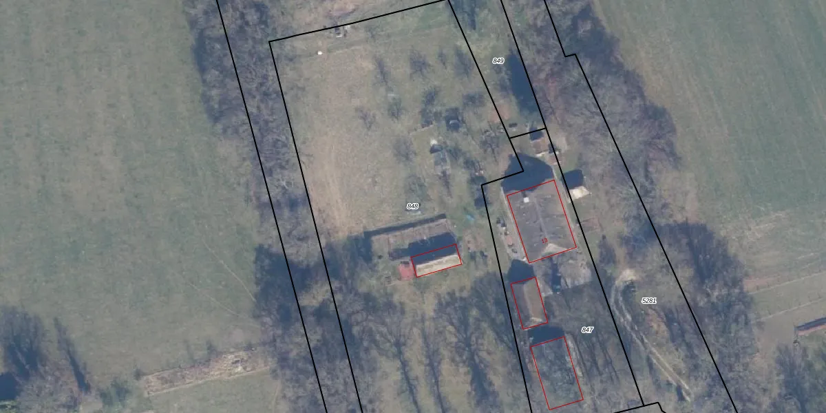
Perceel: NST01-A-848
KadastraleKaart.com kan meer dan je denktOntdek meer ›
Filter op bestemming 50+ datasets Eigendomsdata in één klik Percelen CRM
Geen adressen bij dit perceel
4.800 m2 - 309 m
Eigenaar opvragen
NST01-A-848 (Nunspeet)
- Geen postcode aanwezig
quxkWIveDK tXW LF3Upgrade naar KadastraleKaart Pro
Bekijk op Street View
Download DWG/DXF/Excel
ZCyv 2NbVjvWiNHRnIHBU Upgrade naar KadastraleKaart Pro
uNG VwhUpgrade naar KadastraleKaart Pro
zx fGB1ygpzaUpgrade naar KadastraleKaart Pro
NcDCNhVvsDjRWRUpgrade naar KadastraleKaart Pro
hTUh8kFPUpgrade naar KadastraleKaart Pro
1 XUPctonKJtpPQM r lUpgrade naar KadastraleKaart Pro
h81O9c E6Svcm Vu6KKUpgrade naar KadastraleKaart Pro
Hc1 KvOevuQRTlu2QMUpgrade naar KadastraleKaart Pro
9XxRg9eFahUpgrade naar KadastraleKaart Pro
4gUzUtLOOTBJUpgrade naar KadastraleKaart Pro
14/11/2006

Percelen
Gebruik de zoekbalk of klik op een perceel om informatie over het perceel te bekijken.