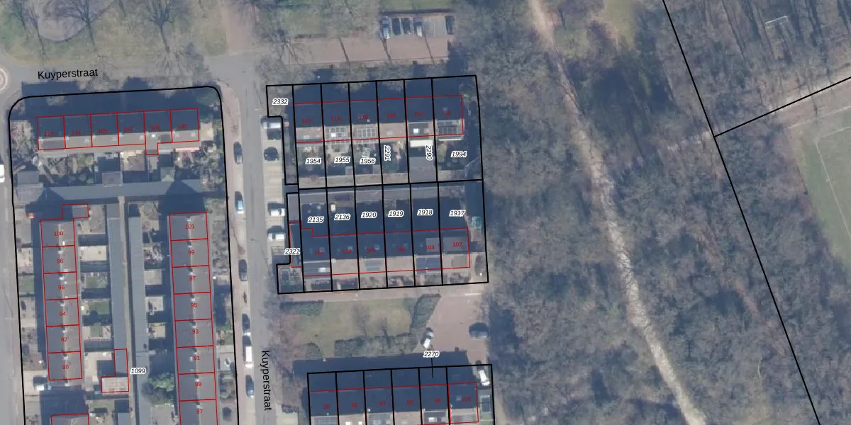
Perceel: NST01-D-1918
158 m2 - 62 m
Eigenaar opvragen
NST01-D-1918 (Nunspeet)
- 8072 BL
sJjaPnM6x8rZKLY9XjtsbpC EUpgrade naar KadastraleKaart Pro
Bekijk op Street View
Download DWG/DXF/Excel
C13UhZ9kZlx1XU0Z4pLS hQUpgrade naar KadastraleKaart Pro
85WVrD6LiN eyjXUpgrade naar KadastraleKaart Pro
hqRtI4hzYVfqAG UsTW5Upgrade naar KadastraleKaart Pro
aiOYyVpv8kO WLUpgrade naar KadastraleKaart Pro
ChNO7wdiJZ4aBe0qPpUpgrade naar KadastraleKaart Pro
nCHmO8EkbVUpgrade naar KadastraleKaart Pro
TLA D77TjJdiTUpgrade naar KadastraleKaart Pro
t Si52Y700d9cT 2 m7jUpgrade naar KadastraleKaart Pro
adZqGKPVCUORUpgrade naar KadastraleKaart Pro
5eT0zfF2gRWUpgrade naar KadastraleKaart Pro
23/11/2012

Percelen
Gebruik de zoekbalk of klik op een perceel om informatie over het perceel te bekijken.