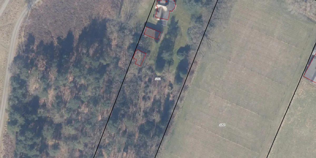
Perceel: NST01-E-1211
KadastraleKaart.com kan meer dan je denktOntdek meer ›
Filter op bestemming 50+ datasets Eigendomsdata in één klik Percelen CRM
5.183 m2 - 357 m
Eigenaar opvragen
NST01-E-1211 (Nunspeet)
- 8076 RG
8Mi5r5 BQ b LWW4IG XwVy3yED Upgrade naar KadastraleKaart Pro
Verkoopprijs opvragen
Bekijk op Street View
Download DWG/DXF/Excel
KzBim 1uHIHS A Nd7iTUpgrade naar KadastraleKaart Pro
qDzyKz6rm qWiPNx7Zp86Upgrade naar KadastraleKaart Pro
Salh2hThgS5EWTBUq35pctUpgrade naar KadastraleKaart Pro
95ac6ljuMdrUpgrade naar KadastraleKaart Pro
4I3rkFpJVt5AZxHgUpgrade naar KadastraleKaart Pro
7NbyX uxJhDdINpUJPtRSUpgrade naar KadastraleKaart Pro
c v3Edf0Fc EosRpEGjE4gyUpgrade naar KadastraleKaart Pro
v01lThDDUZZ7ViPSpUpgrade naar KadastraleKaart Pro
ZPU 9J87SMsozz6fIP8 fUpgrade naar KadastraleKaart Pro
4BZSadIqx cikUpgrade naar KadastraleKaart Pro
19/03/2003

Percelen
Gebruik de zoekbalk of klik op een perceel om informatie over het perceel te bekijken.