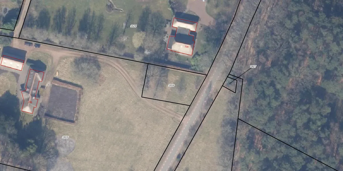
Perceel: NST01-E-1916
KadastraleKaart.com kan meer dan je denktOntdek meer ›
Filter op bestemming 50+ datasets Eigendomsdata in één klik Percelen CRM
Geen adressen bij dit perceel
610 m2 - 104 m
Eigenaar opvragen
NST01-E-1916 (Nunspeet)
- Geen postcode aanwezig
BYt TeXmkAWmuarpnMriSUpgrade naar KadastraleKaart Pro
Bekijk op Street View
Download DWG/DXF/Excel
kl1lTJ HgKCUpgrade naar KadastraleKaart Pro
t1gMFkar 9l 2FfBg ZuNlJUpgrade naar KadastraleKaart Pro
7 69z4AB2ijrqZKUpgrade naar KadastraleKaart Pro
bPJVjT7u4Mf rWhpsb 5oVUpgrade naar KadastraleKaart Pro
DRmX6 gtbXw2kUpgrade naar KadastraleKaart Pro
PGty unfRcUpgrade naar KadastraleKaart Pro
zCd zDuWLUpgrade naar KadastraleKaart Pro
mjVrmW3qFGUpgrade naar KadastraleKaart Pro
CXgQk1S1I00TFXnLyUpgrade naar KadastraleKaart Pro
Y X5uGL1mb80uP mUpgrade naar KadastraleKaart Pro
17/05/2005

Percelen
Gebruik de zoekbalk of klik op een perceel om informatie over het perceel te bekijken.