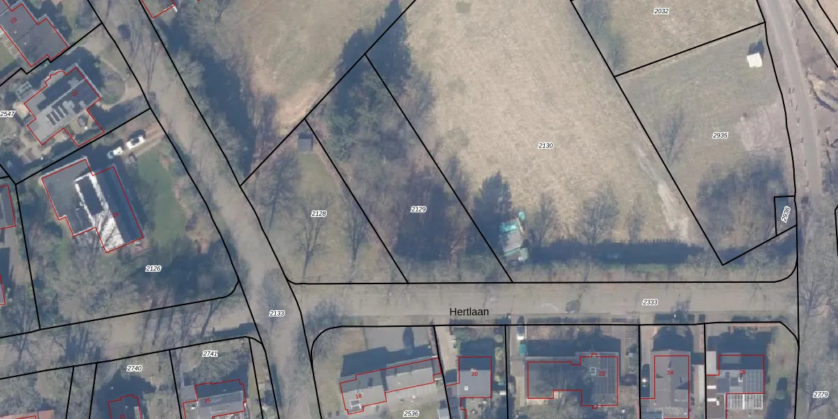
Perceel: NST01-E-2129
KadastraleKaart.com kan meer dan je denktOntdek meer ›
Filter op bestemming 50+ datasets Eigendomsdata in één klik Percelen CRM
Geen adressen bij dit perceel
1.140 m2 - 158 m
Eigenaar opvragen
NST01-E-2129 (Nunspeet)
- Geen postcode aanwezig
zyvg6jTjisII 5 wLo7pLiqUpgrade naar KadastraleKaart Pro
Bekijk op Street View
Download DWG/DXF/Excel
m mzRmd kHzdHaoMUpgrade naar KadastraleKaart Pro
lp1OaFraj 4rL0vUOUpgrade naar KadastraleKaart Pro
q7h80Pva7e lqhZH2Upgrade naar KadastraleKaart Pro
RMF3OVJeAr7RCrE7EcUpgrade naar KadastraleKaart Pro
n123pDMk7FAUpgrade naar KadastraleKaart Pro
DM8e7zIemNnxV YUpgrade naar KadastraleKaart Pro
v3Ir8TPuG38fE4USUpgrade naar KadastraleKaart Pro
uJN jL MUpgrade naar KadastraleKaart Pro
iZgbFK2H3 Upgrade naar KadastraleKaart Pro
e4FYc lGcHF2gPnZDD Upgrade naar KadastraleKaart Pro
27/04/2005

Percelen
Gebruik de zoekbalk of klik op een perceel om informatie over het perceel te bekijken.