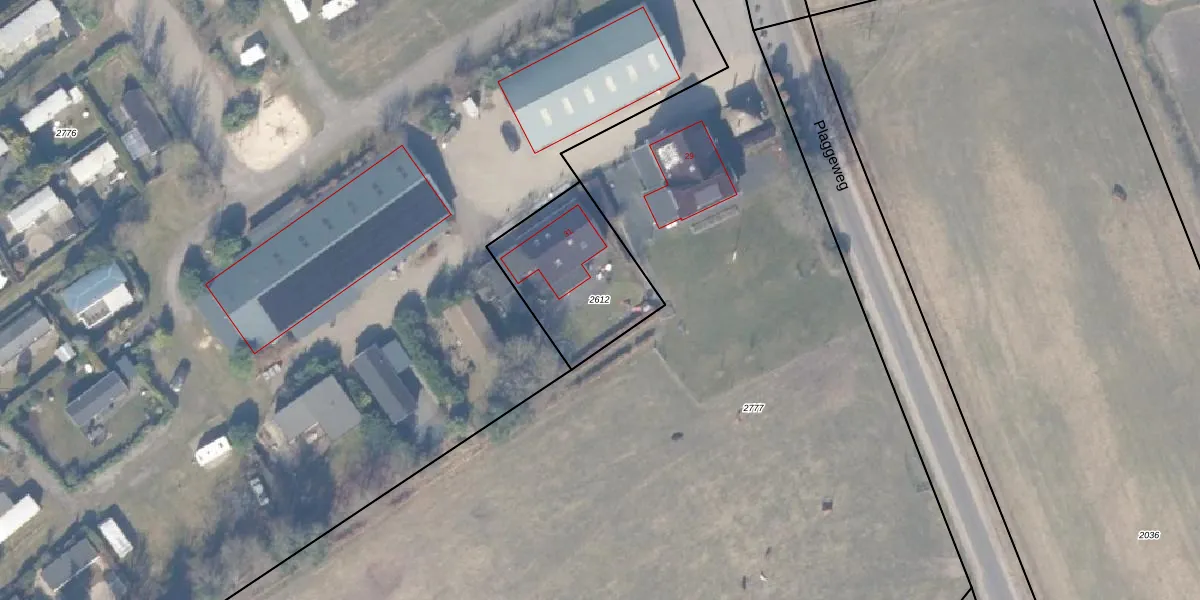
Perceel: NST01-E-2612
476 m2 - 88 m
Eigenaar opvragen
NST01-E-2612 (Nunspeet)
- 8076 PL
B7Wv9iJMm3t1 jKRqJ7PpUpgrade naar KadastraleKaart Pro
Verkoopprijs opvragen
Bekijk op Street View
Download DWG/DXF/Excel
meGObg7NtMWGk5G 5qUpgrade naar KadastraleKaart Pro
R ky2vOT8Cbs6FJJUpgrade naar KadastraleKaart Pro
reG566qZFbkqZR Gxa0OUpgrade naar KadastraleKaart Pro
gEiNPX3fK8zwOUpgrade naar KadastraleKaart Pro
BpRQU5jR1r seqkNroQGYUpgrade naar KadastraleKaart Pro
FbjFr T5vc07uzQpS6bUpgrade naar KadastraleKaart Pro
EC2Dr QB3LUpgrade naar KadastraleKaart Pro
dBPYv tG0aUpgrade naar KadastraleKaart Pro
BRY gEvBE KR1U92PafUpgrade naar KadastraleKaart Pro
HS1tY8WVIPZw8ykfUpgrade naar KadastraleKaart Pro
25/11/2009

Percelen
Gebruik de zoekbalk of klik op een perceel om informatie over het perceel te bekijken.