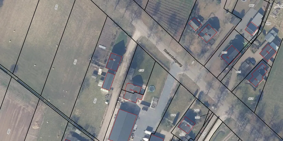
Perceel: NST01-F-4745

Adres bij perceel

Perceeloppervlakte & perceelomtrek

510 m2 - 95 m

Eigenaar van het perceel

Eigenaar opvragen

Kadastrale aanduiding

NST01-F-4745 (Nunspeet)

Postcode in perceel

    8075 PW

Type eigenaar

MSl5Zk1iEHAK2psdhddUpgrade naar KadastraleKaart Pro

Woning verkocht in 2021

Verkoopprijs opvragen

Google Street View

Bekijk op Street View

Download

Download DWG/DXF/Excel

Gerelateerde percelen

rH 74l cMtyZHVe6Hm96DuUpgrade naar KadastraleKaart Pro

Bebouwd/onbebouwd/water/groen

Z0JWFfHZGkSUpgrade naar KadastraleKaart Pro
Administratieve eenheden
fKU2C WeUpgrade naar KadastraleKaart Pro

Appartementsrechten

keSz0NAuSKGvUpgrade naar KadastraleKaart Pro

Vergunningverlenende instanties

6PlmLMRhiYLTDD5c11mPUpgrade naar KadastraleKaart Pro

Bedekking (BGT)

KbFhWkY xOVVymmJGqiUpgrade naar KadastraleKaart Pro

Publiekrechtelijke beperkingen

NctznCkPVRMUpgrade naar KadastraleKaart Pro

Grensnauwkeurigheid

IBahMCS3 lOaEmz IB9pWTUpgrade naar KadastraleKaart Pro

Coördinaten hoekpunten perceel

t5I bJ3Eedt RUpgrade naar KadastraleKaart Pro

Hoogteligging

fIB rwspPJaW tNX6Upgrade naar KadastraleKaart Pro

Laatst gewijzigd

27/11/2013

Kadastrale kaart met maatvoering 59,95
Kadastrale kaart pakket 28,95

Percelen

Gebruik de zoekbalk of klik op een perceel om informatie over het perceel te bekijken.
Locatie
Meten
Lagen
Download