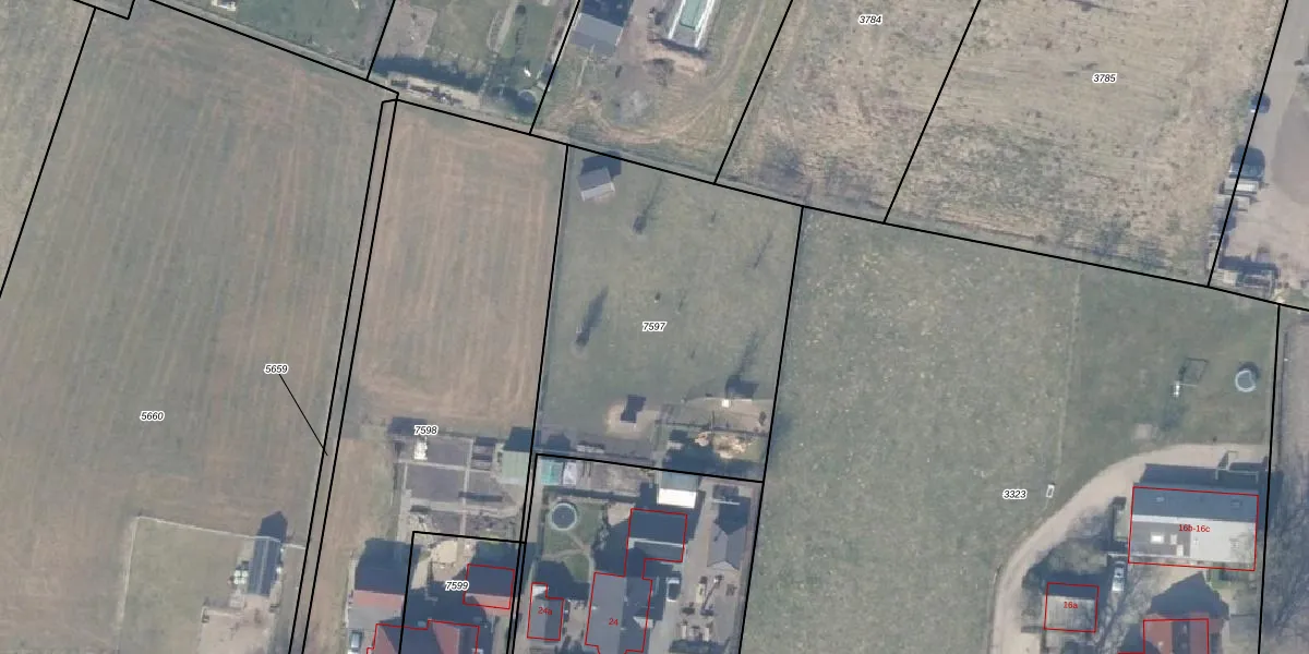
Perceel: NST01-F-7597
Geen adressen bij dit perceel
1.665 m2 - 190 m
Eigenaar opvragen
NST01-F-7597 (Nunspeet)
- Geen postcode aanwezig
d1T21q YvvbJ4YXMaUpgrade naar KadastraleKaart Pro
Bekijk op Street View
Download DWG/DXF/Excel
ne YROabcNQz7tUaiUpgrade naar KadastraleKaart Pro
wzzXO7CfUpgrade naar KadastraleKaart Pro
8pKgbOMrvM1T0tBVZy MWUpgrade naar KadastraleKaart Pro
dFFyvylTa1p xmbS XL 9mUpgrade naar KadastraleKaart Pro
uaZhlt1q 8i q90wUpgrade naar KadastraleKaart Pro
HKTo b sQsS TIj cuxpfBUpgrade naar KadastraleKaart Pro
NrKXGWMZKZHTbBKQwUpgrade naar KadastraleKaart Pro
1BE sxBtPadvUpgrade naar KadastraleKaart Pro
S 0VvI4MBudc53NobXUpgrade naar KadastraleKaart Pro
mkN lkhgUpgrade naar KadastraleKaart Pro
24/11/2011

Percelen
Gebruik de zoekbalk of klik op een perceel om informatie over het perceel te bekijken.