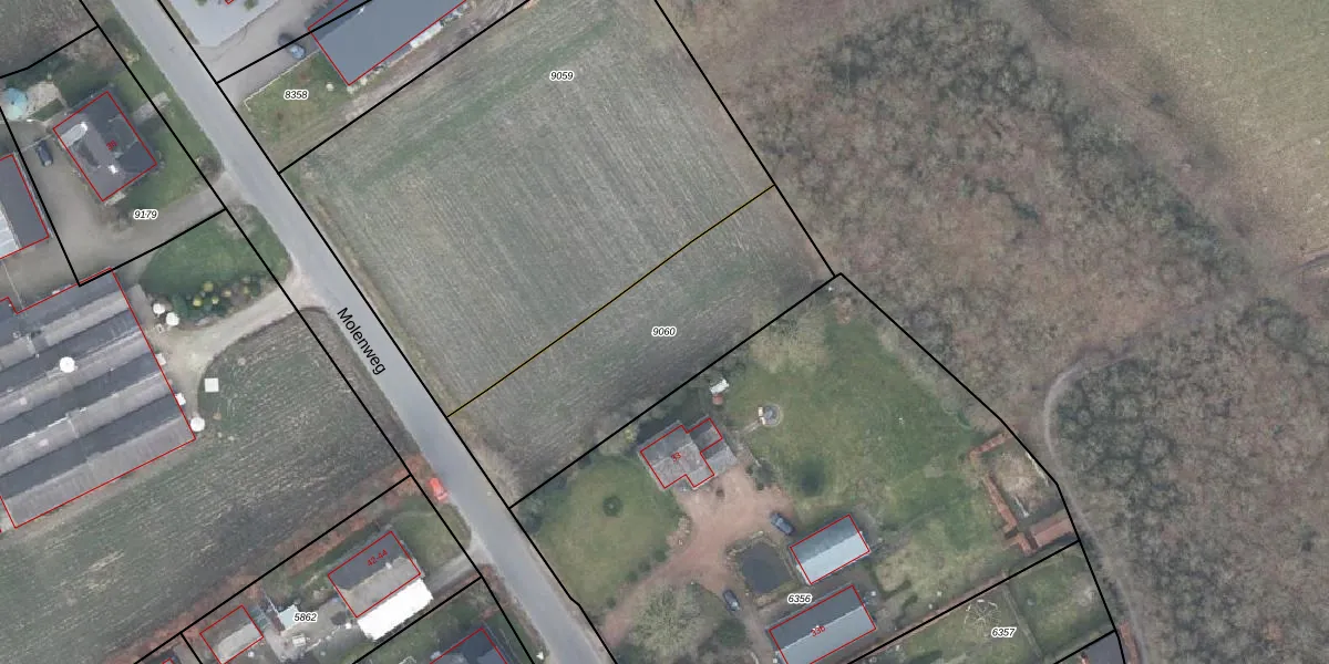
Perceel: NST01-F-9060
Geen adressen bij dit perceel
1.000 m2 - 154 m
Eigenaar opvragen
NST01-F-9060 (Nunspeet)
- Geen postcode aanwezig
Uap3vgWqELzU9I KUpgrade naar KadastraleKaart Pro
Bekijk op Street View
Download DWG/DXF/Excel
4vN04YR Upgrade naar KadastraleKaart Pro
2BtHGSBgtrAVhMdSIUpgrade naar KadastraleKaart Pro
JFidbImpNUpgrade naar KadastraleKaart Pro
2WLxG9MwVinOjxm9AAA4DUpgrade naar KadastraleKaart Pro
LI G63KM Z1ogUpgrade naar KadastraleKaart Pro
6BkWF FY8Oez8IaUpgrade naar KadastraleKaart Pro
LoVR xY eW 6Upgrade naar KadastraleKaart Pro
VQKawkwCzuRd8qR 3W0Upgrade naar KadastraleKaart Pro
DbwmhRBiZKQgiJ82rl Upgrade naar KadastraleKaart Pro
IAFI3g fjaS7lI3vUpgrade naar KadastraleKaart Pro
07/01/2026

Percelen
Gebruik de zoekbalk of klik op een perceel om informatie over het perceel te bekijken.