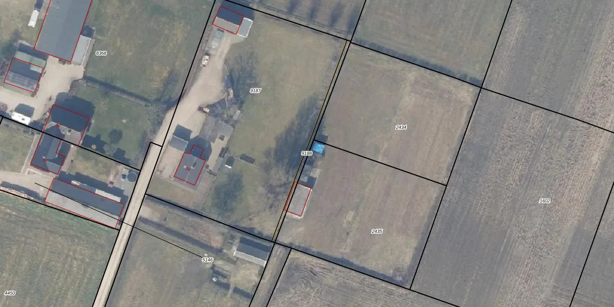
Perceel: NST01-F-9188
Geen adressen bij dit perceel
80 m2 - 143 m
Eigenaar opvragen
NST01-F-9188 (Nunspeet)
- Geen postcode aanwezig
qMA0JukadoO dn7KXUpgrade naar KadastraleKaart Pro
Bekijk op Street View
Download DWG/DXF/Excel
3LTwLuUwUpgrade naar KadastraleKaart Pro
9S7RMSYO E0fOQkVWoUpgrade naar KadastraleKaart Pro
tX82Y8fK8u Upgrade naar KadastraleKaart Pro
efGCfmqMj7o9HqH9cQ5XUpgrade naar KadastraleKaart Pro
GQa dfDuB BP2A6O 9h7Upgrade naar KadastraleKaart Pro
XCkg9YjtjElPAUpgrade naar KadastraleKaart Pro
v999urYgsSprUpgrade naar KadastraleKaart Pro
QVkoap3xihXsUBNAkl6Upgrade naar KadastraleKaart Pro
LvyQMAcsGYGTl56VOUpgrade naar KadastraleKaart Pro
4rbBOq7GUpgrade naar KadastraleKaart Pro
12/11/2025

Percelen
Gebruik de zoekbalk of klik op een perceel om informatie over het perceel te bekijken.