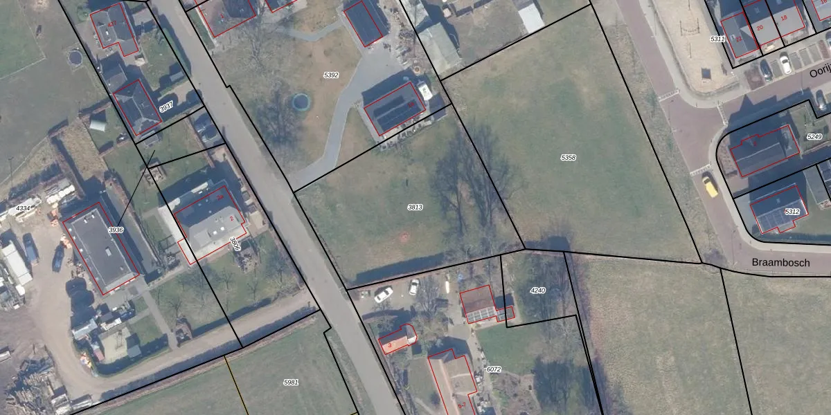
Perceel: NST01-H-3813
Geen adressen bij dit perceel
1.460 m2 - 154 m
Eigenaar opvragen
NST01-H-3813 (Nunspeet)
- Geen postcode aanwezig
OZp29qyVAZzb6AVzqFMcao0JkDkPUpgrade naar KadastraleKaart Pro
Bekijk op Street View
Download DWG/DXF/Excel
IN0P89yznUpgrade naar KadastraleKaart Pro
KIabsm1DABlicksZY5KfPVUpgrade naar KadastraleKaart Pro
maDwoA3jUpgrade naar KadastraleKaart Pro
x6OyGnI E9 gVLS lrQRHaXUpgrade naar KadastraleKaart Pro
d9 mAhfLuke 1n86AOQOaYNUpgrade naar KadastraleKaart Pro
UiGPkMQeOtmPom eItefjiUpgrade naar KadastraleKaart Pro
ejhXI9UpL0b0bUpgrade naar KadastraleKaart Pro
Tw8XjSBCodLAzbfFH1f TUpgrade naar KadastraleKaart Pro
t2K2WDzU9ERdg7Upgrade naar KadastraleKaart Pro
wlL GaVAvc1Gtr hKUcNuyBUpgrade naar KadastraleKaart Pro
12/07/2002

Percelen
Gebruik de zoekbalk of klik op een perceel om informatie over het perceel te bekijken.