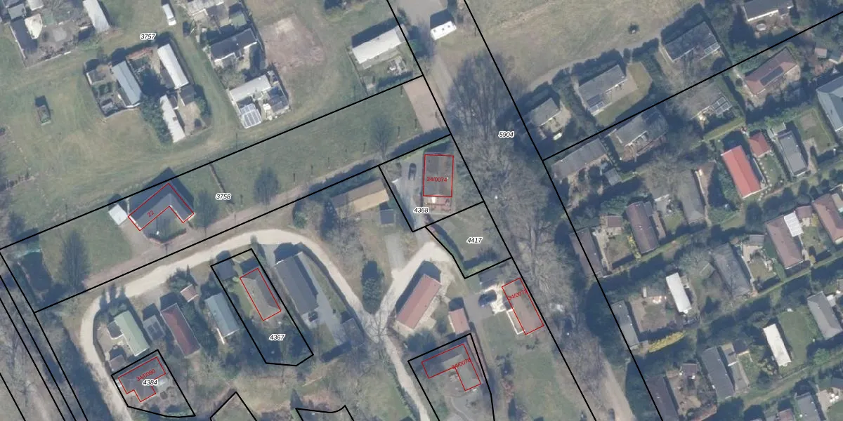
Perceel: NST01-H-4368
340 m2 - 73 m
Eigenaar opvragen
NST01-H-4368 (Nunspeet)
- 8077 RP
lJ28F QSTe 04YEfvyZizn WV2VfTUpgrade naar KadastraleKaart Pro
Verkoopprijs opvragen
Bekijk op Street View
Download DWG/DXF/Excel
Yz 40xSKiGBB PYX9rBMUpgrade naar KadastraleKaart Pro
ZilwJ QoLXGulOo2AUpgrade naar KadastraleKaart Pro
8BZH p5fWBOL3BkDUpgrade naar KadastraleKaart Pro
pTOlYrQwiv3CYL1i mf0rusUpgrade naar KadastraleKaart Pro
ixcvmDzuZPcNUpgrade naar KadastraleKaart Pro
WFa wc JY8Upgrade naar KadastraleKaart Pro
8D5rte teEBzTNmqUpgrade naar KadastraleKaart Pro
lcEgiPZqwYIVsornoCTXub5Upgrade naar KadastraleKaart Pro
NkBCIhZoCz2qDUpgrade naar KadastraleKaart Pro
VYAFUd8LqYKbA 5YFYSUpgrade naar KadastraleKaart Pro
11/01/2010

Percelen
Gebruik de zoekbalk of klik op een perceel om informatie over het perceel te bekijken.