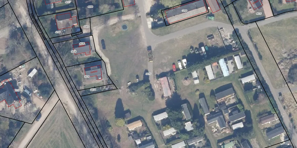
Perceel: NST01-H-5975
KadastraleKaart.com kan meer dan je denktOntdek meer ›
Filter op bestemming 50+ datasets Eigendomsdata in één klik Percelen CRM
14.248 m2 - 624 m
Eigenaar opvragen
NST01-H-5975 (Nunspeet)
- 8077 SE
HcpdyASHhd WUDS8Z9gTRQXEt8EivSUpgrade naar KadastraleKaart Pro
Verkoopprijs opvragen
Bekijk op Street View
Download DWG/DXF/Excel
zjxTs8 Qfh6wUpgrade naar KadastraleKaart Pro
9 7M0M SbUUk T5G1AFiLUpgrade naar KadastraleKaart Pro
1uNn D02ujal 6lN Upgrade naar KadastraleKaart Pro
I8 O6K2q6psQjNUpgrade naar KadastraleKaart Pro
GV91N6dULW8EUpgrade naar KadastraleKaart Pro
OluZIAge7Xtp7uENX8 mzUpgrade naar KadastraleKaart Pro
64 Pn5DDIh F F0i8ybUpgrade naar KadastraleKaart Pro
dA0Cz96PiVBUpgrade naar KadastraleKaart Pro
WFY dBanUpgrade naar KadastraleKaart Pro
30pEZsUJ7Upgrade naar KadastraleKaart Pro
23/10/2024

Percelen
Gebruik de zoekbalk of klik op een perceel om informatie over het perceel te bekijken.