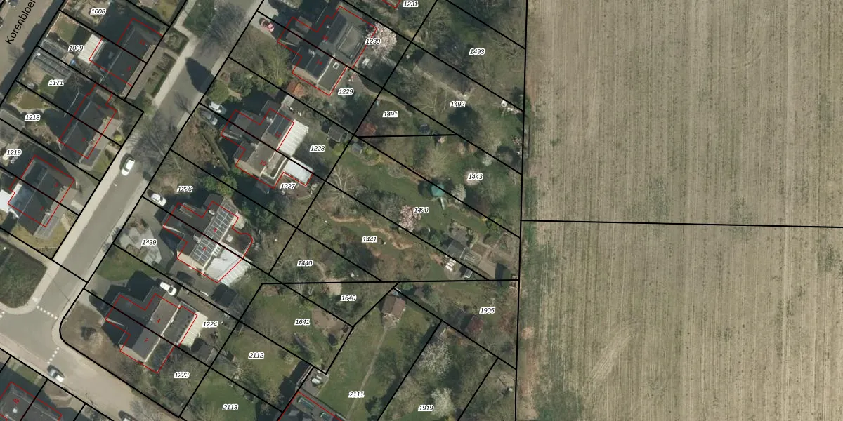
Perceel: NST02-E-1490
KadastraleKaart.com kan meer dan je denktOntdek meer ›
Filter op bestemming 50+ datasets Eigendomsdata in één klik Percelen CRM
Geen adressen bij dit perceel
625 m2 - 122 m
Eigenaar opvragen
NST02-E-1490 (Nieuwstadt)
- Geen postcode aanwezig
kmOYQbAsJrqbQVAWWhUpgrade naar KadastraleKaart Pro
Bekijk op Street View
Download DWG/DXF/Excel
RWCByPX SZnUpgrade naar KadastraleKaart Pro
gYfzjmzUpgrade naar KadastraleKaart Pro
capCsr 9 RyzDtMbqDLgHEUpgrade naar KadastraleKaart Pro
GzRIpo6VU4 PRUZKUpgrade naar KadastraleKaart Pro
5k SX7rmLTfW2Upgrade naar KadastraleKaart Pro
9HO1agfQFZSZ8 si9JecQIUpgrade naar KadastraleKaart Pro
g6MvKFnIqz9PzblwUpgrade naar KadastraleKaart Pro
Eb 8iHJTK Upgrade naar KadastraleKaart Pro
i XMdUbfV2 EI4 3RUpgrade naar KadastraleKaart Pro
DFjT 5RIUpgrade naar KadastraleKaart Pro
14/01/1998

Percelen
Gebruik de zoekbalk of klik op een perceel om informatie over het perceel te bekijken.