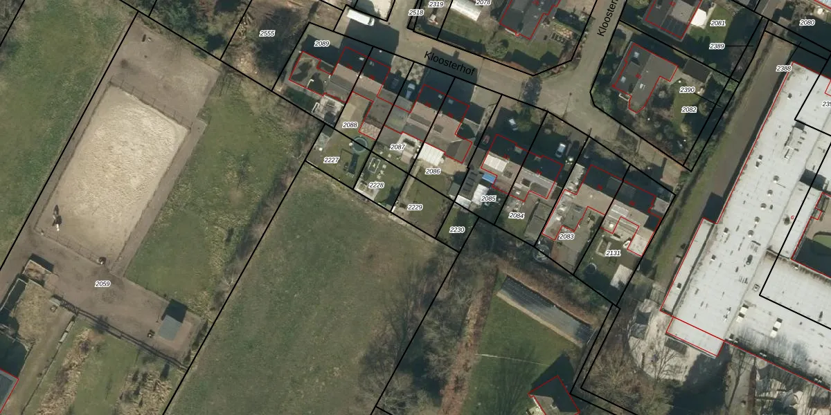
Perceel: NTR00-B-2229
KadastraleKaart.com kan meer dan je denktOntdek meer ›
Filter op bestemming 50+ datasets Eigendomsdata in één klik Percelen CRM
Geen adressen bij dit perceel
128 m2 - 46 m
Eigenaar opvragen
NTR00-B-2229 (Nistelrode)
- Geen postcode aanwezig
3oGmf8vThAil 9mNK3dldJa XYUpgrade naar KadastraleKaart Pro
Bekijk op Street View
Download DWG/DXF/Excel
6GSEyQWbUpgrade naar KadastraleKaart Pro
BD Eez ab9Onc4dGJKwUpgrade naar KadastraleKaart Pro
pzlGCFdo bSQ9AxZyUpgrade naar KadastraleKaart Pro
FeY0kEulTIdmyWghUpgrade naar KadastraleKaart Pro
qsyCnSkq9SciZJKqUpgrade naar KadastraleKaart Pro
Mne5m sd 8VUpgrade naar KadastraleKaart Pro
gb Tc 6sJEdrlMr BU7d0 3Upgrade naar KadastraleKaart Pro
0yKldEXzXuYWMnfE Upgrade naar KadastraleKaart Pro
Sh2gExTZo j9EUpgrade naar KadastraleKaart Pro
9ekLPZv2Osz2Waw1H80bPZUpgrade naar KadastraleKaart Pro
21/11/2006

Percelen
Gebruik de zoekbalk of klik op een perceel om informatie over het perceel te bekijken.