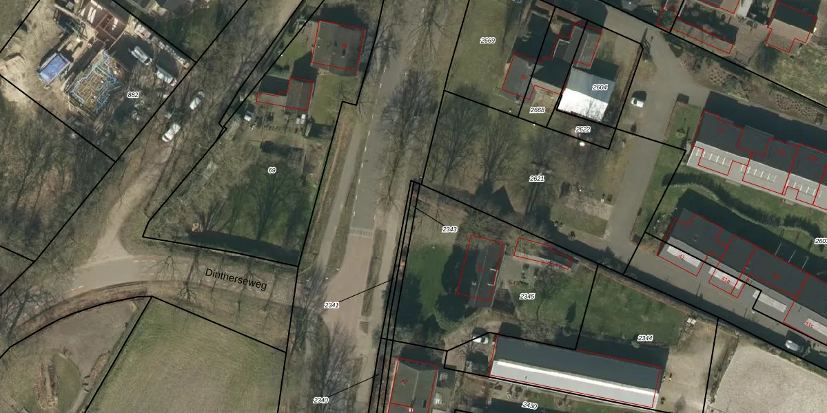
Perceel: NTR00-B-2343
KadastraleKaart.com kan meer dan je denktOntdek meer ›
Filter op bestemming 50+ datasets Eigendomsdata in één klik Percelen CRM
Geen adressen bij dit perceel
59 m2 - 80 m
Eigenaar opvragen
NTR00-B-2343 (Nistelrode)
- Geen postcode aanwezig
1cR 6wTUN4TGr yjHMAoJf EpUpgrade naar KadastraleKaart Pro
Bekijk op Street View
Download DWG/DXF/Excel
OILjgqVEE61 ABb3Upgrade naar KadastraleKaart Pro
s8hIDJHQ2IUpgrade naar KadastraleKaart Pro
pXTQOF6oak1C PsEp7ZUpgrade naar KadastraleKaart Pro
L23dvWqF 7tKHNUpgrade naar KadastraleKaart Pro
38XkbtPEkEUpgrade naar KadastraleKaart Pro
c88aaRUpgrade naar KadastraleKaart Pro
FXdpLES8TYUpgrade naar KadastraleKaart Pro
hjqwRl2wom92EAFqCUpgrade naar KadastraleKaart Pro
aCVqn gGUpgrade naar KadastraleKaart Pro
yw1lNtcKQsMC0VKDNn0GHoUpgrade naar KadastraleKaart Pro
30/11/2006

Percelen
Gebruik de zoekbalk of klik op een perceel om informatie over het perceel te bekijken.