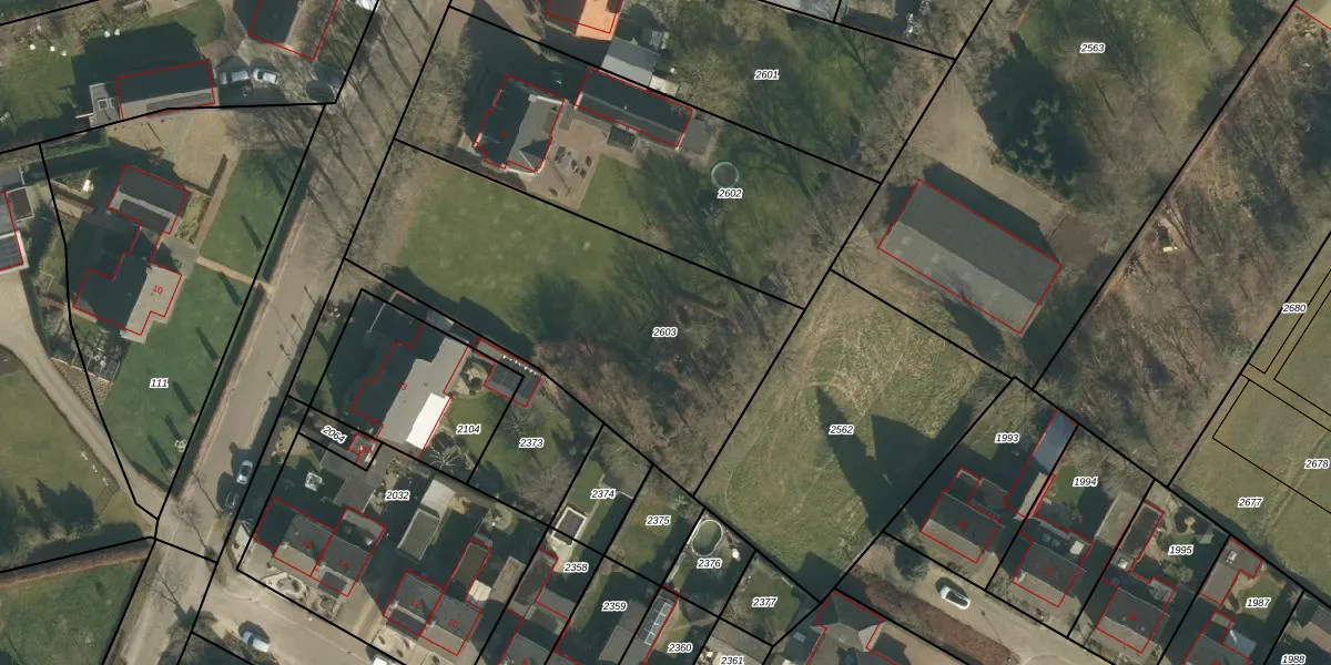
Perceel: NTR00-E-2603
KadastraleKaart.com kan meer dan je denktOntdek meer ›
Filter op bestemming 50+ datasets Eigendomsdata in één klik Percelen CRM
Geen adressen bij dit perceel
1.596 m2 - 183 m
Eigenaar opvragen
NTR00-E-2603 (Nistelrode)
- Geen postcode aanwezig
I h WGa2jRAQYeO D lFUpgrade naar KadastraleKaart Pro
Bekijk op Street View
Download DWG/DXF/Excel
c5GJgsgX4hUpgrade naar KadastraleKaart Pro
3S7OV5VV9nnvejP je3nMxUpgrade naar KadastraleKaart Pro
4kfPK0byGhkQad4A Upgrade naar KadastraleKaart Pro
xpSho0VPUpgrade naar KadastraleKaart Pro
z9yhFfYIUpgrade naar KadastraleKaart Pro
saBySphMR fiUpgrade naar KadastraleKaart Pro
mOeuoCLZhXFUpgrade naar KadastraleKaart Pro
FSAohfG1BUpgrade naar KadastraleKaart Pro
Nd8zWHOtWGrKkWn VwmUpgrade naar KadastraleKaart Pro
mf 4wdVY AA4QVjWP3YQWmUpgrade naar KadastraleKaart Pro
02/06/2017

Percelen
Gebruik de zoekbalk of klik op een perceel om informatie over het perceel te bekijken.