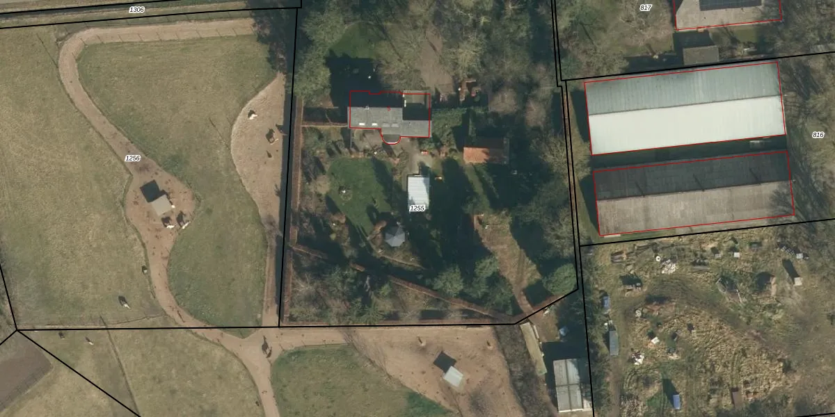
Perceel: NTR00-G-1255
KadastraleKaart.com kan meer dan je denktOntdek meer ›
Filter op bestemming 50+ datasets Eigendomsdata in één klik Percelen CRM
5.370 m2 - 292 m
Eigenaar opvragen
NTR00-G-1255 (Nistelrode)
- 5476 WZ
7rd9ClHT4yxDIeZj5Lt2dgn8wy 86xUpgrade naar KadastraleKaart Pro
Verkoopprijs opvragen
Bekijk op Street View
Download DWG/DXF/Excel
DgZOZ9KqGJfSoI 7sbUpgrade naar KadastraleKaart Pro
jgDUb83KYCMVJ1iO4YzUpgrade naar KadastraleKaart Pro
dL0J3MMPXNsOTpUpgrade naar KadastraleKaart Pro
WRuqa aPAv Hsk7q5Db3AUpgrade naar KadastraleKaart Pro
Dc kwXFVUpgrade naar KadastraleKaart Pro
I6P79HRH 1tx UFt412aTmPUpgrade naar KadastraleKaart Pro
APBhZLI7YctLQOUpgrade naar KadastraleKaart Pro
y GrfYQfhRRRcDmr3Upgrade naar KadastraleKaart Pro
UWYnldLa1ijdijL1 ERUpgrade naar KadastraleKaart Pro
PuUH5wJsrJmbUn9 hpNUpgrade naar KadastraleKaart Pro
14/05/2021

Percelen
Gebruik de zoekbalk of klik op een perceel om informatie over het perceel te bekijken.