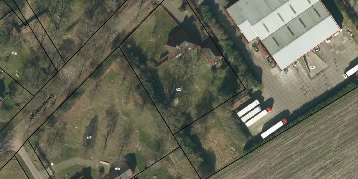
Perceel: NTR00-I-363
KadastraleKaart.com kan meer dan je denktOntdek meer ›
Filter op bestemming 50+ datasets Eigendomsdata in één klik Percelen CRM
3.000 m2 - 222 m
Eigenaar opvragen
NTR00-I-363 (Nistelrode)
- 5388 VM
fBC2 GFiq0fkLdm El4 Mb jQGI sMUpgrade naar KadastraleKaart Pro
Verkoopprijs opvragen
Bekijk op Street View
Download DWG/DXF/Excel
6zs2JpkQUpgrade naar KadastraleKaart Pro
3PGu IqLLUpgrade naar KadastraleKaart Pro
d zYl aRZYV8OGUm1 zChUpgrade naar KadastraleKaart Pro
sIxpvd 1sJm3uLYvUpgrade naar KadastraleKaart Pro
iaMo p38S18Zdmi6nNihUpgrade naar KadastraleKaart Pro
u1l DdD3GY6xUpgrade naar KadastraleKaart Pro
GR2FGf3I6dm9qlZby5Upgrade naar KadastraleKaart Pro
GF6LKvM sLUpgrade naar KadastraleKaart Pro
9iXJ K5Kn XQCaHUpgrade naar KadastraleKaart Pro
Rb2N RaY4MsFk nUpgrade naar KadastraleKaart Pro
30/11/2006

Percelen
Gebruik de zoekbalk of klik op een perceel om informatie over het perceel te bekijken.