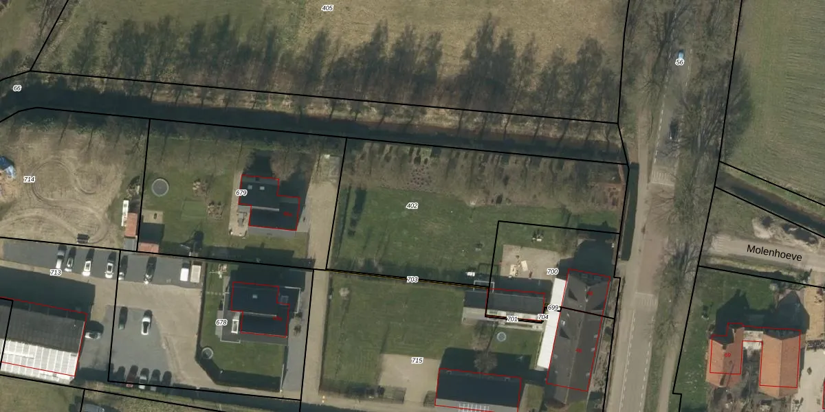
Perceel: NTR00-K-402
KadastraleKaart.com kan meer dan je denktOntdek meer ›
Filter op bestemming 50+ datasets Eigendomsdata in één klik Percelen CRM
Geen adressen bij dit perceel
1.770 m2 - 203 m
Eigenaar opvragen
NTR00-K-402 (Nistelrode)
- Geen postcode aanwezig
bgEtnpLfN2401WcBBDHJ5T2vH wnZGUpgrade naar KadastraleKaart Pro
Bekijk op Street View
Download DWG/DXF/Excel
ic2Xg2c321BF5JnMUUpgrade naar KadastraleKaart Pro
XqZfb1TDvWJnR4ZB uOSg8Upgrade naar KadastraleKaart Pro
XeQnNHhyfUtAkLOUpgrade naar KadastraleKaart Pro
3YUAjTAurIEp 7vpWN 7JvUpgrade naar KadastraleKaart Pro
IT4l4PwgPlUpgrade naar KadastraleKaart Pro
6b5CETqhAXKe7GbL5uFySmUpgrade naar KadastraleKaart Pro
9LkiGmsgW 7Fd2cgx0HASRUpgrade naar KadastraleKaart Pro
9vTDMnWsouvW6R5vIHUpgrade naar KadastraleKaart Pro
9xMUzxePUUgIQJmuKUpgrade naar KadastraleKaart Pro
KWrgRwVOkH Upgrade naar KadastraleKaart Pro
30/10/2017

Percelen
Gebruik de zoekbalk of klik op een perceel om informatie over het perceel te bekijken.