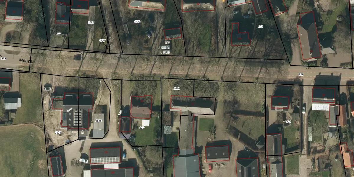
Perceel: NTR00-L-1020
KadastraleKaart.com kan meer dan je denktOntdek meer ›
Filter op bestemming 50+ datasets Eigendomsdata in één klik Percelen CRM
678 m2 - 138 m
Eigenaar opvragen
NTR00-L-1020 (Nistelrode)
- 5388 SZ
9gM6RA2 VDXPTop2ORr4kqqHbwBUpgrade naar KadastraleKaart Pro
Verkoopprijs opvragen
Bekijk op Street View
Download DWG/DXF/Excel
nviLgIaVg1EgBUpgrade naar KadastraleKaart Pro
o58pV 2HLsaPx3hQ 2K2Upgrade naar KadastraleKaart Pro
b2yv G3tw4 EwMUpgrade naar KadastraleKaart Pro
M GRPNTU9zmUpgrade naar KadastraleKaart Pro
oC43HGT2SwRvLJNG ex4PEUpgrade naar KadastraleKaart Pro
qXxKtripDzbrBp4 Upgrade naar KadastraleKaart Pro
Mr F4UwmH MgG53prXtFFKUpgrade naar KadastraleKaart Pro
Kn9EgCu65u JGXUoOZ ImwUpgrade naar KadastraleKaart Pro
4SmVZxHAp4Upgrade naar KadastraleKaart Pro
4A03TemrQFJ9LXhebUpgrade naar KadastraleKaart Pro
04/01/2007

Percelen
Gebruik de zoekbalk of klik op een perceel om informatie over het perceel te bekijken.