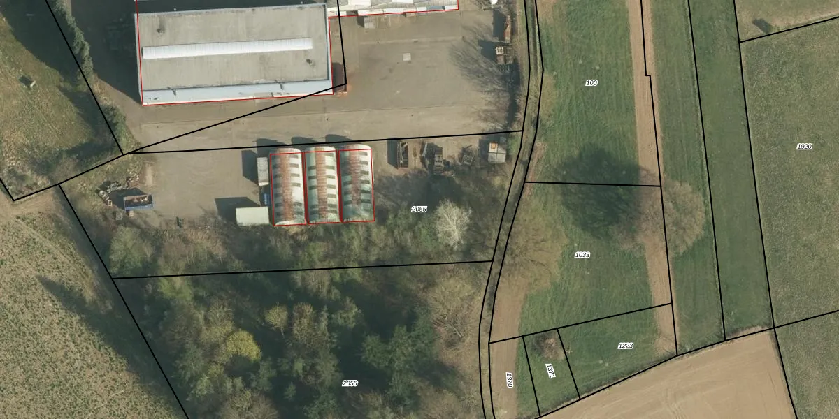
Perceel: NUT00-D-2055
KadastraleKaart.com kan meer dan je denktOntdek meer ›
Filter op bestemming 50+ datasets Eigendomsdata in één klik Percelen CRM
Geen adressen bij dit perceel
3.020 m2 - 261 m
Eigenaar opvragen
NUT00-D-2055 (Nuth)
- Geen postcode aanwezig
1uQLzdEfZ1y S ZnhNiO52iv69ssmAkUpgrade naar KadastraleKaart Pro
Bekijk op Street View
Download DWG/DXF/Excel
HJpXkHBc726RHISvK8 dUpgrade naar KadastraleKaart Pro
OfsYa1ndThVOD74Upgrade naar KadastraleKaart Pro
Q AQl9UdqlIOhOmUpgrade naar KadastraleKaart Pro
wSxzXl MXqjbzh20zPEjn6Upgrade naar KadastraleKaart Pro
mxo z vLUpgrade naar KadastraleKaart Pro
13g Fj9pSUpgrade naar KadastraleKaart Pro
gvfTiugDnUpgrade naar KadastraleKaart Pro
vdc ro DFSV3MUpgrade naar KadastraleKaart Pro
GNlPhQAtVtoOEB rvUpgrade naar KadastraleKaart Pro
lag PCgKXs APUpgrade naar KadastraleKaart Pro
19/10/2011

Percelen
Gebruik de zoekbalk of klik op een perceel om informatie over het perceel te bekijken.