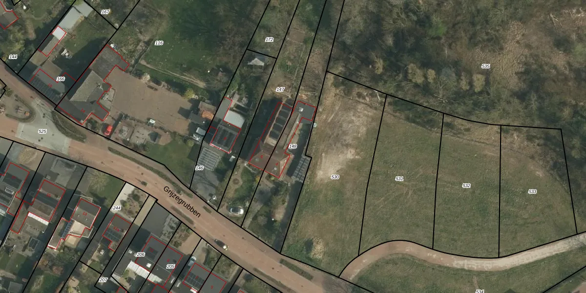
Perceel: NUT00-N-148
KadastraleKaart.com kan meer dan je denktOntdek meer ›
Filter op bestemming 50+ datasets Eigendomsdata in één klik Percelen CRM
1.055 m2 - 241 m
Eigenaar opvragen
NUT00-N-148 (Nuth)
- 6361 GM
KEifyLNBE2h9ZV 9pbVUpgrade naar KadastraleKaart Pro
Verkoopprijs opvragen
Bekijk op Street View
Download DWG/DXF/Excel
4 WEdcxyLvvzlYdfMfhKUpgrade naar KadastraleKaart Pro
jfQXZUe1NDdUpgrade naar KadastraleKaart Pro
2eXbIIB5dtISda Upgrade naar KadastraleKaart Pro
EV50J6R5aekh1ZuY88jNJ9Upgrade naar KadastraleKaart Pro
irJ ApcvUpgrade naar KadastraleKaart Pro
v5gzUfMgMq JThWvG0cUpgrade naar KadastraleKaart Pro
vq c qY iHUpgrade naar KadastraleKaart Pro
gh H1aTUKk hdUpgrade naar KadastraleKaart Pro
Tq6FxQKZv1 3Y7pAWw5Upgrade naar KadastraleKaart Pro
5 wKkGRKTizkiVyd8sTRSMuUpgrade naar KadastraleKaart Pro
02/11/2023

Percelen
Gebruik de zoekbalk of klik op een perceel om informatie over het perceel te bekijken.