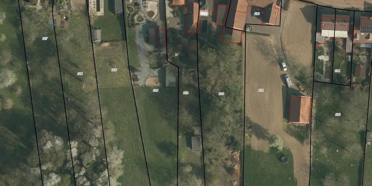
Perceel: NUT00-N-223
KadastraleKaart.com kan meer dan je denktOntdek meer ›
Filter op bestemming 50+ datasets Eigendomsdata in één klik Percelen CRM
2.094 m2 - 319 m
Eigenaar opvragen
NUT00-N-223 (Nuth)
- 6361 GL
rVw rad0UL 1hd SPwwSyUpgrade naar KadastraleKaart Pro
Verkoopprijs opvragen
Bekijk op Street View
Download DWG/DXF/Excel
hhoau9C 5VMUpgrade naar KadastraleKaart Pro
t3eIwSy9CkMrdOEHOkPZvOUpgrade naar KadastraleKaart Pro
RvSthxoes1hGoCMihM7qj9Upgrade naar KadastraleKaart Pro
5z9ADmLKXaU 7mKUpgrade naar KadastraleKaart Pro
krEuVskOxnImyk1kOUUOjUpgrade naar KadastraleKaart Pro
vTrg 7U3he3aUpgrade naar KadastraleKaart Pro
TStJS0EfpNt8lc4FFPthebUpgrade naar KadastraleKaart Pro
KvhUGgULsZ6mSUUpgrade naar KadastraleKaart Pro
v16dohMtyUpgrade naar KadastraleKaart Pro
t3 h5OlBdUpgrade naar KadastraleKaart Pro
20/10/2009

Percelen
Gebruik de zoekbalk of klik op een perceel om informatie over het perceel te bekijken.