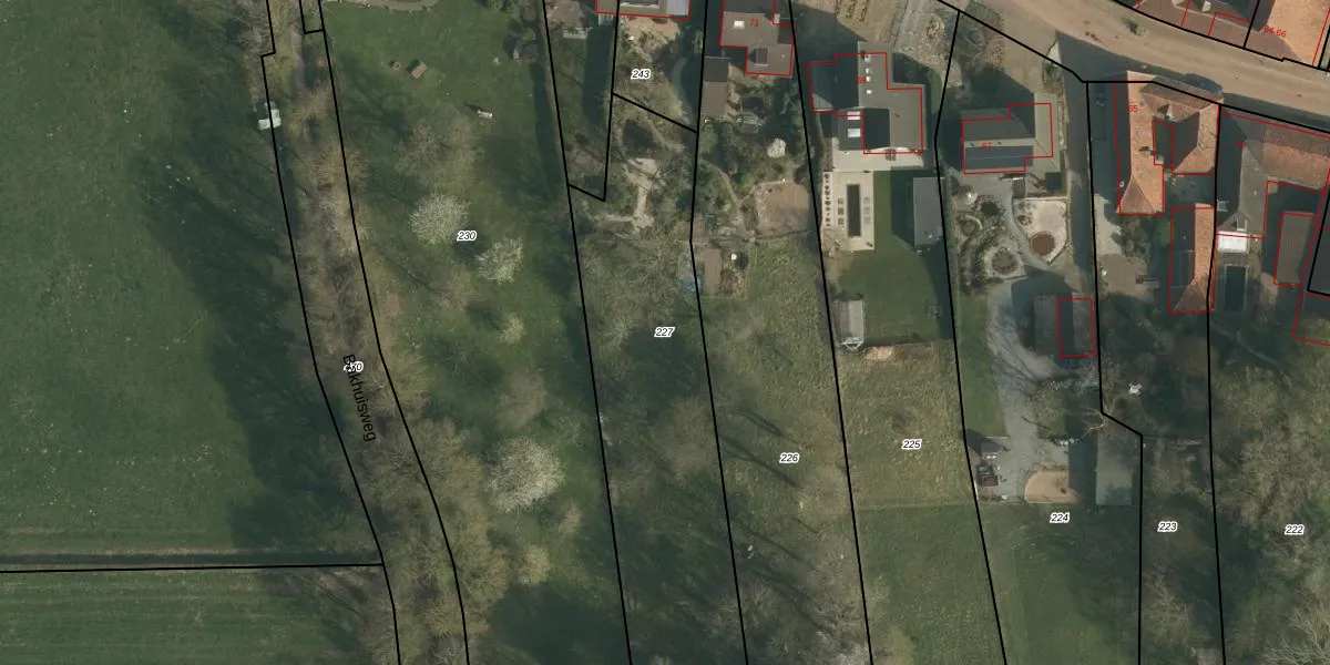
Perceel: NUT00-N-227
KadastraleKaart.com kan meer dan je denktOntdek meer ›
Filter op bestemming 50+ datasets Eigendomsdata in één klik Percelen CRM
Geen adressen bij dit perceel
2.071 m2 - 286 m
Eigenaar opvragen
NUT00-N-227 (Nuth)
- Geen postcode aanwezig
IFfo FRp l B8OpTB4F2OTVtTYob Upgrade naar KadastraleKaart Pro
Bekijk op Street View
Download DWG/DXF/Excel
uj9nZ7UxuKQjMFTk9Z10XUpgrade naar KadastraleKaart Pro
PG3Et4m3qtUpgrade naar KadastraleKaart Pro
gZzhYWqc 2c7PuV Be hrUpgrade naar KadastraleKaart Pro
1w0g9M82Upgrade naar KadastraleKaart Pro
sx6AfD3ah Upgrade naar KadastraleKaart Pro
UXFRZQ Jr e6Upgrade naar KadastraleKaart Pro
cZK8IM63Pk VmEHPUpgrade naar KadastraleKaart Pro
BpLco0e4SQI6t32pxhwauUpgrade naar KadastraleKaart Pro
k9uRd0GRyav425aUpgrade naar KadastraleKaart Pro
wff07RwnbjRVUpgrade naar KadastraleKaart Pro
20/10/2009

Percelen
Gebruik de zoekbalk of klik op een perceel om informatie over het perceel te bekijken.