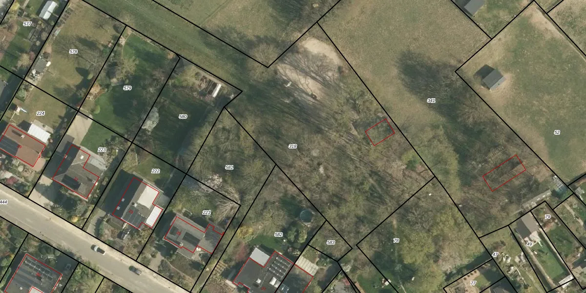
Perceel: NUT00-P-318
KadastraleKaart.com kan meer dan je denktOntdek meer ›
Filter op bestemming 50+ datasets Eigendomsdata in één klik Percelen CRM
4.746 m2 - 621 m
Eigenaar opvragen
NUT00-P-318 (Nuth)
- 6336 TG
lag4tNWYYijNGj0xyUpgrade naar KadastraleKaart Pro
Verkoopprijs opvragen
Bekijk op Street View
Download DWG/DXF/Excel
G2xQvTzJi SwNUpgrade naar KadastraleKaart Pro
BOiYxSDP FvUpgrade naar KadastraleKaart Pro
7c5ER0F8mvWiREEY A7zUpgrade naar KadastraleKaart Pro
5dOeFVSbBAjEXWWUUpgrade naar KadastraleKaart Pro
a 0TyEidBy9Upgrade naar KadastraleKaart Pro
83r2jb4z2r4WUpgrade naar KadastraleKaart Pro
NJN5DgKRAgjM1j3z549 Upgrade naar KadastraleKaart Pro
M KqWj a3VqgezzzsL5RiUpgrade naar KadastraleKaart Pro
SO6lM 3 gFWDW Upgrade naar KadastraleKaart Pro
oDVu F6h IqijS9pkp4 mUpgrade naar KadastraleKaart Pro
23/07/2015

Percelen
Gebruik de zoekbalk of klik op een perceel om informatie over het perceel te bekijken.