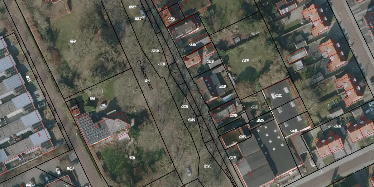
Perceel: NWD02-H-4042
KadastraleKaart.com kan meer dan je denktOntdek meer ›
Filter op bestemming 50+ datasets Eigendomsdata in één klik Percelen CRM
Geen adressen bij dit perceel
63 m2 - 46 m
Eigenaar opvragen
NWD02-H-4042 (Noordwolde)
- Geen postcode aanwezig
r78 QsHM8HkNKzJWao nICp4MPBZPeUpgrade naar KadastraleKaart Pro
Bekijk op Street View
Download DWG/DXF/Excel
4 q 7WfV Ot JyOq9K7Upgrade naar KadastraleKaart Pro
eOcmjKDJIG2Ff xXxP8Upgrade naar KadastraleKaart Pro
ff7bjqafqQbfTjidW0hRUpgrade naar KadastraleKaart Pro
Y5O1F3bUUJ74cXSybkL DUpgrade naar KadastraleKaart Pro
VnP8ymBD6M8fi gUpgrade naar KadastraleKaart Pro
1NuL OyfqD sUpgrade naar KadastraleKaart Pro
FKOYuXpN3Upgrade naar KadastraleKaart Pro
rfTbYJDa7VJ0bLUpgrade naar KadastraleKaart Pro
bQYjjhdH276ASVUA FRJUpgrade naar KadastraleKaart Pro
Pa6YoOY5cjTvGYKBUpgrade naar KadastraleKaart Pro
16/02/1998

Percelen
Gebruik de zoekbalk of klik op een perceel om informatie over het perceel te bekijken.