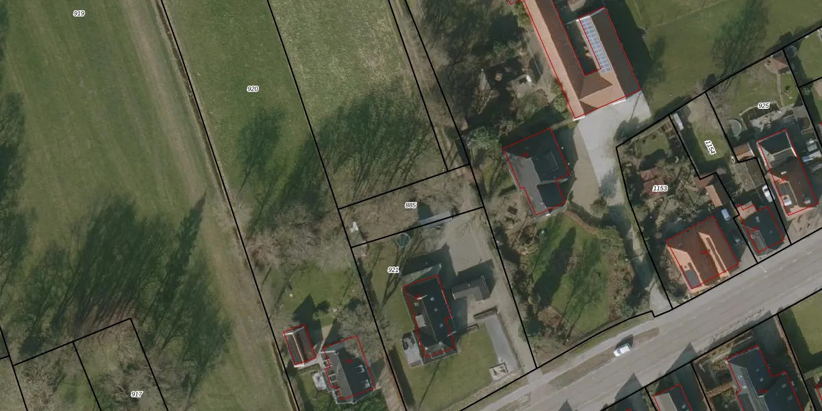
Perceel: NWD02-N-885
KadastraleKaart.com kan meer dan je denktOntdek meer ›
Filter op bestemming 50+ datasets Eigendomsdata in één klik Percelen CRM
Geen adressen bij dit perceel
340 m2 - 89 m
Eigenaar opvragen
NWD02-N-885 (Noordwolde)
- Geen postcode aanwezig
i6Qby8UX iGW17UUpgrade naar KadastraleKaart Pro
Bekijk op Street View
Download DWG/DXF/Excel
n2tvlC sJE9Y7qPkoUpgrade naar KadastraleKaart Pro
QBJv4oA9y2yVtQDWrQ31N Upgrade naar KadastraleKaart Pro
ymaGRORkcyDUpgrade naar KadastraleKaart Pro
K3jD40atNKzeNq1pfQ2xJ Upgrade naar KadastraleKaart Pro
fuZHTPvGR 2aTUpgrade naar KadastraleKaart Pro
T zG 69MP qh MUpgrade naar KadastraleKaart Pro
jcK Nc NCZUpgrade naar KadastraleKaart Pro
VQURqxZD jPn0T9ELnIUpgrade naar KadastraleKaart Pro
4aB UvObUpgrade naar KadastraleKaart Pro
Tz9wYUzPjms0eUpgrade naar KadastraleKaart Pro
27/05/2016

Percelen
Gebruik de zoekbalk of klik op een perceel om informatie over het perceel te bekijken.