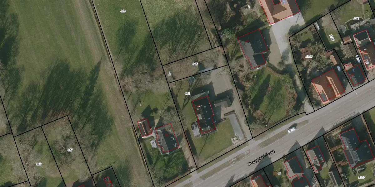
Perceel: NWD02-N-921
KadastraleKaart.com kan meer dan je denktOntdek meer ›
Filter op bestemming 50+ datasets Eigendomsdata in één klik Percelen CRM
1.515 m2 - 158 m
Eigenaar opvragen
NWD02-N-921 (Noordwolde)
- 8395 PL
KvcDTQKbh Sla g8Upgrade naar KadastraleKaart Pro
Verkoopprijs opvragen
Bekijk op Street View
Download DWG/DXF/Excel
EbNcJQSXY 1TOO8Upgrade naar KadastraleKaart Pro
p2f67JXE3rfqHh2qUMZUpgrade naar KadastraleKaart Pro
WIYiMfyzdaJQ ijUpgrade naar KadastraleKaart Pro
ocJRWi6MDQlYk6nN ppfUpgrade naar KadastraleKaart Pro
U UWgI KntI6aLS sUpgrade naar KadastraleKaart Pro
ZZTM2L wt7jgC AUpgrade naar KadastraleKaart Pro
TCeVEv w4pcYqjUpgrade naar KadastraleKaart Pro
uDAn7 sCo dq z l 9BUpgrade naar KadastraleKaart Pro
xo8aV1hRZ75VU2Pg eD2WUpgrade naar KadastraleKaart Pro
2zyF6t8seOP0VRtZ3H L Upgrade naar KadastraleKaart Pro
15/01/1998

Percelen
Gebruik de zoekbalk of klik op een perceel om informatie over het perceel te bekijken.