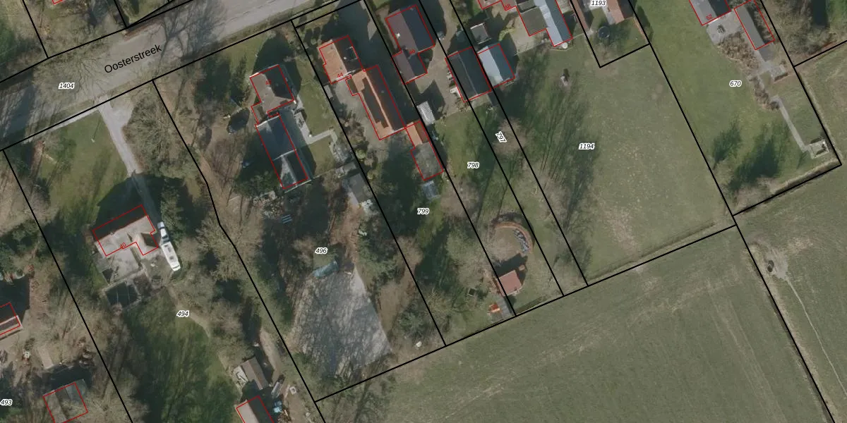
Perceel: NWD02-O-799
KadastraleKaart.com kan meer dan je denktOntdek meer ›
Filter op bestemming 50+ datasets Eigendomsdata in één klik Percelen CRM
1.520 m2 - 202 m
Eigenaar opvragen
NWD02-O-799 (Noordwolde)
- 8388 NE
CzfRkVQMKkkUvW6Trkib8WBa MUpgrade naar KadastraleKaart Pro
Verkoopprijs opvragen
Bekijk op Street View
Download DWG/DXF/Excel
aiyXvjW5Md EQ jUpgrade naar KadastraleKaart Pro
11eCHmtFUpgrade naar KadastraleKaart Pro
Z2ZX75J5lACqFuR0vpRUpgrade naar KadastraleKaart Pro
IL mkm8Yv5NmUpgrade naar KadastraleKaart Pro
LMly s8Xt0twiH592abUeJUpgrade naar KadastraleKaart Pro
7IEcrBqHOA Ihl9CFAP9YUpgrade naar KadastraleKaart Pro
oRBZ1 8Sz0Upgrade naar KadastraleKaart Pro
5ZGBH67TXosAvJ9mUpgrade naar KadastraleKaart Pro
wGcMwMoJq2mpv7qQwpvUpgrade naar KadastraleKaart Pro
bYXxeyy8ewVHapiy TrQvUpgrade naar KadastraleKaart Pro
15/01/1998

Percelen
Gebruik de zoekbalk of klik op een perceel om informatie over het perceel te bekijken.