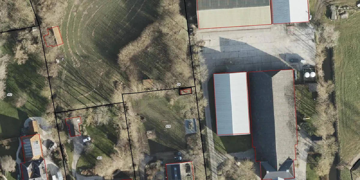
Perceel: NWD03-K-64
24 m2 - 20 m
Eigenaar opvragen
NWD03-K-64 (Nieuwolda)
- Geen postcode aanwezig
jCrRNDzYjHAkOgm Y4qSIUpgrade naar KadastraleKaart Pro
Bekijk op Street View
Download DWG/DXF/Excel
PVKTk1LZ2y sN6Upgrade naar KadastraleKaart Pro
6kHV X8CEfWIMJfUpgrade naar KadastraleKaart Pro
REkLR4Ye STUpgrade naar KadastraleKaart Pro
9l aU6E6sUpgrade naar KadastraleKaart Pro
BXQg1YfzlFUpgrade naar KadastraleKaart Pro
yC65O8ltoocUpgrade naar KadastraleKaart Pro
GRGzxtLs1a5XFkL L3lkyYUpgrade naar KadastraleKaart Pro
IXfD8jFWxwUpgrade naar KadastraleKaart Pro
sHkSItUoo78a1SxUpgrade naar KadastraleKaart Pro
kn HDXMsMU3Upgrade naar KadastraleKaart Pro
21/09/1998

Percelen
Gebruik de zoekbalk of klik op een perceel om informatie over het perceel te bekijken.