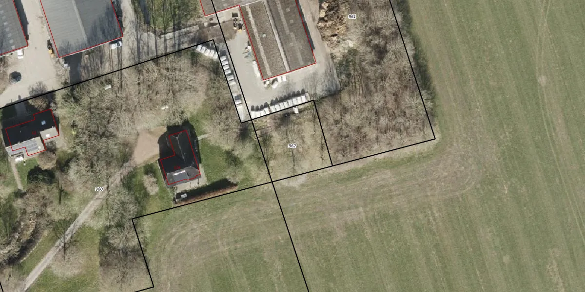
Perceel: NWD03-K-962
Geen adressen bij dit perceel
500 m2 - 90 m
Eigenaar opvragen
NWD03-K-962 (Nieuwolda)
- Geen postcode aanwezig
9u xFheFbsPVrjF0uabUpgrade naar KadastraleKaart Pro
Bekijk op Street View
Download DWG/DXF/Excel
rmv a N0wpqK0EPgNh Upgrade naar KadastraleKaart Pro
LntsRRj 11zAQ qCCqDUpgrade naar KadastraleKaart Pro
QtGvv cqvcAjChZYcNUpgrade naar KadastraleKaart Pro
shdsWjVa5b0oCBD83tMyo Upgrade naar KadastraleKaart Pro
5dY1XYiPtMBmkzEp wL 9Upgrade naar KadastraleKaart Pro
UsnZ1ZN W611jUpgrade naar KadastraleKaart Pro
X61 ZsnKaal1QWwP ebMqUpgrade naar KadastraleKaart Pro
K vfyGUhXUpgrade naar KadastraleKaart Pro
U SNuKoJvKertgUpgrade naar KadastraleKaart Pro
4sXW tDx5KkUpgrade naar KadastraleKaart Pro
10/12/2021

Percelen
Gebruik de zoekbalk of klik op een perceel om informatie over het perceel te bekijken.