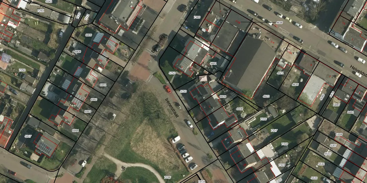
Perceel: NWH01-B-5753
KadastraleKaart.com kan meer dan je denktOntdek meer ›
Filter op bestemming 50+ datasets Eigendomsdata in één klik Percelen CRM
300 m2 - 80 m
Eigenaar opvragen
NWH01-B-5753 (Nieuwenhagen)
- 6373 NK
phU k euhOv5bITd5DRsdGvW wCUpgrade naar KadastraleKaart Pro
Verkoopprijs opvragen
Bekijk op Street View
Download DWG/DXF/Excel
QKlnSoGnMOatp1UUpgrade naar KadastraleKaart Pro
BpJCX1QFQB5BcIBq yi4q6Upgrade naar KadastraleKaart Pro
lRX R5 K5uh11lWPrNi6OZhUpgrade naar KadastraleKaart Pro
mJT3 Q8iUpgrade naar KadastraleKaart Pro
pvmtYBKWVWECzHpUpgrade naar KadastraleKaart Pro
XTnVcknNzYxMWcCsPUpgrade naar KadastraleKaart Pro
Ogw3v 0 WWEUpgrade naar KadastraleKaart Pro
6KeYTpARcUpgrade naar KadastraleKaart Pro
b RB w3xAUpgrade naar KadastraleKaart Pro
fF E64PGxR 0KU9 k6Upgrade naar KadastraleKaart Pro
24/08/2007

Percelen
Gebruik de zoekbalk of klik op een perceel om informatie over het perceel te bekijken.