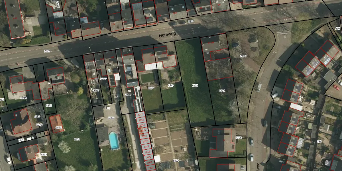
Perceel: NWH01-B-6347
KadastraleKaart.com kan meer dan je denktOntdek meer ›
Filter op bestemming 50+ datasets Eigendomsdata in één klik Percelen CRM
500 m2 - 107 m
Eigenaar opvragen
NWH01-B-6347 (Nieuwenhagen)
- 6373 VG
GC9A1 UqIc1YWT3KCyUpgrade naar KadastraleKaart Pro
Bekijk op Street View
Download DWG/DXF/Excel
090HVKkgc fhAUpgrade naar KadastraleKaart Pro
Y4Z67VALZbWlUpgrade naar KadastraleKaart Pro
nfRJVgiDMAAbZ luvIUpgrade naar KadastraleKaart Pro
VdxEE38gBUpgrade naar KadastraleKaart Pro
IlX vlUNpTIDzzmmUpgrade naar KadastraleKaart Pro
nKTQBwWGi ktjUpgrade naar KadastraleKaart Pro
G3FjRQUXVUpgrade naar KadastraleKaart Pro
xKhrmbVA4szbTaYfUpgrade naar KadastraleKaart Pro
rEIdSS0X FCgAOk1IlUpgrade naar KadastraleKaart Pro
b3 wCkIe5vmd9miZmODUpgrade naar KadastraleKaart Pro
30/08/2007

Percelen
Gebruik de zoekbalk of klik op een perceel om informatie over het perceel te bekijken.