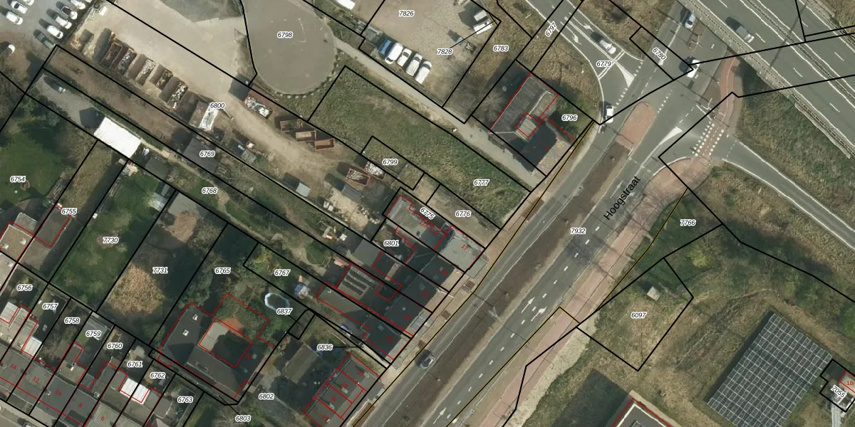
Perceel: NWH01-B-6775
KadastraleKaart.com kan meer dan je denktOntdek meer ›
Filter op bestemming 50+ datasets Eigendomsdata in één klik Percelen CRM
156 m2 - 63 m
Eigenaar opvragen
NWH01-B-6775 (Nieuwenhagen)
- 6373 HN
DQ tPrWATZFjCFFAsz7ppeLTgqv5P uUpgrade naar KadastraleKaart Pro
Verkoopprijs opvragen
Bekijk op Street View
Download DWG/DXF/Excel
1 K24TOMmYYRWUpgrade naar KadastraleKaart Pro
I0slbH5Bj5Upgrade naar KadastraleKaart Pro
RiSgjfkmu4Upgrade naar KadastraleKaart Pro
aiOnB Y4s0wNUpgrade naar KadastraleKaart Pro
JAs9bpk2aRgbxABrYQAUpgrade naar KadastraleKaart Pro
0b841aLHeEZZIycboJUpgrade naar KadastraleKaart Pro
VBjiuP qL6Da XnM0Upgrade naar KadastraleKaart Pro
PLoT1Cy4oJk nVoUpgrade naar KadastraleKaart Pro
gw7pON75WUpgrade naar KadastraleKaart Pro
Xq145a3C8VmWQUpgrade naar KadastraleKaart Pro
29/03/2012

Percelen
Gebruik de zoekbalk of klik op een perceel om informatie over het perceel te bekijken.