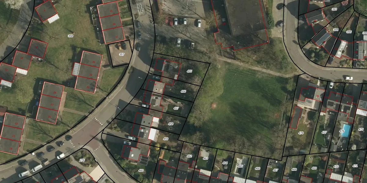
Perceel: NWH01-D-456
KadastraleKaart.com kan meer dan je denktOntdek meer ›
Filter op bestemming 50+ datasets Eigendomsdata in één klik Percelen CRM
280 m2 - 79 m
Eigenaar opvragen
NWH01-D-456 (Nieuwenhagen)
- 6373 TT
jzd9Ud2caqMh2dpy5 Q5yLhKUpgrade naar KadastraleKaart Pro
Bekijk op Street View
Download DWG/DXF/Excel
fZICQ4f EC foUqUpgrade naar KadastraleKaart Pro
r5p8TR7 kivkGiUKG0FBYPhUpgrade naar KadastraleKaart Pro
9wxjCaHtxgjuaUpgrade naar KadastraleKaart Pro
XzQFBKXoqUpgrade naar KadastraleKaart Pro
H cvhHk TS DIKqvrUpgrade naar KadastraleKaart Pro
q xH hjRkN 6Q omCGUpgrade naar KadastraleKaart Pro
bY7N9S9YrXEiBUpgrade naar KadastraleKaart Pro
qE1jRoBI8zfLpFUpgrade naar KadastraleKaart Pro
Tf rPR0kKAe3Upgrade naar KadastraleKaart Pro
d 8qjHzaH W x8WzexUpgrade naar KadastraleKaart Pro
30/08/2007

Percelen
Gebruik de zoekbalk of klik op een perceel om informatie over het perceel te bekijken.