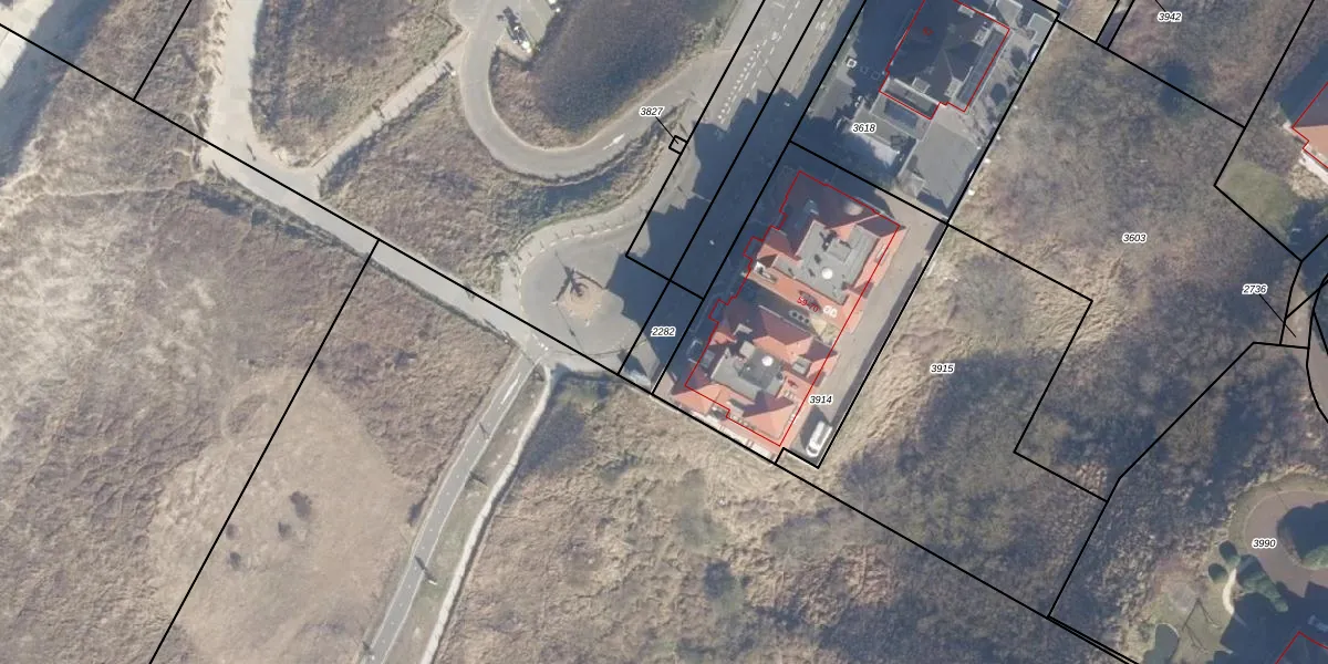
Perceel: NWK02-A-2282
KadastraleKaart.com kan meer dan je denktOntdek meer ›
Filter op bestemming 50+ datasets Eigendomsdata in één klik Percelen CRM
Geen adressen bij dit perceel
95 m2 - 44 m
Eigenaar opvragen
NWK02-A-2282 (Noordwijk)
- Geen postcode aanwezig
LO Z8QZZlGIPY210 CUpgrade naar KadastraleKaart Pro
Bekijk op Street View
Download DWG/DXF/Excel
gMGowJofZgLjN Cvfu KQzUpgrade naar KadastraleKaart Pro
mLqDoofRxUpgrade naar KadastraleKaart Pro
bqKnC77Jaj8uf1c3nBrWUpgrade naar KadastraleKaart Pro
cz4ZYcDQfUpgrade naar KadastraleKaart Pro
UuUyBO1JUpgrade naar KadastraleKaart Pro
MRjvTJ6c2IWPkUpgrade naar KadastraleKaart Pro
kzl9Y56ylUUpgrade naar KadastraleKaart Pro
PVWHJzK r2wDvzUeKdrLisUpgrade naar KadastraleKaart Pro
xNvqS4FA DHUpgrade naar KadastraleKaart Pro
XXezhEif0 kexvuIUjijFUpgrade naar KadastraleKaart Pro
06/09/2006

Percelen
Gebruik de zoekbalk of klik op een perceel om informatie over het perceel te bekijken.