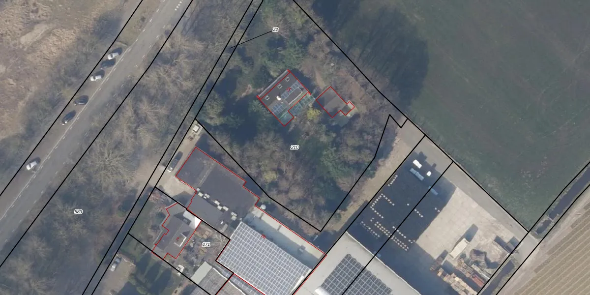
Perceel: NWK02-O-210
KadastraleKaart.com kan meer dan je denktOntdek meer ›
Filter op bestemming 50+ datasets Eigendomsdata in één klik Percelen CRM
3.133 m2 - 241 m
Eigenaar opvragen
NWK02-O-210 (Noordwijk)
- 2204 AK
SVilW 0q c8yAHBC J1wP6Upgrade naar KadastraleKaart Pro
Bekijk op Street View
Download DWG/DXF/Excel
hH5H4JGWUpgrade naar KadastraleKaart Pro
31TE3UQO1SObaWkkUpgrade naar KadastraleKaart Pro
WMzJO3aiDTPD jLjUpgrade naar KadastraleKaart Pro
JFBZtRC10F6buBqkk2Upgrade naar KadastraleKaart Pro
CJ77HRpv6XFgZxrISpSZUpgrade naar KadastraleKaart Pro
6b9rfzVzo88QjAUpgrade naar KadastraleKaart Pro
I18Nx0IH8TR fIQrqUpgrade naar KadastraleKaart Pro
wEC LqpAmI IcrMNvUpgrade naar KadastraleKaart Pro
5EaucG813GS6XQLJCFUZfWUpgrade naar KadastraleKaart Pro
fH0z9Pj2txxdUpgrade naar KadastraleKaart Pro
20/06/2001

Percelen
Gebruik de zoekbalk of klik op een perceel om informatie over het perceel te bekijken.