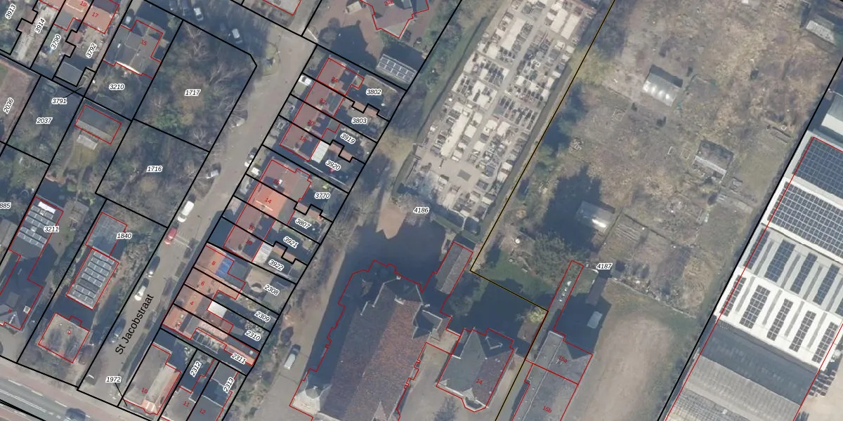
Perceel: NWK04-A-4186
KadastraleKaart.com kan meer dan je denktOntdek meer ›
Filter op bestemming 50+ datasets Eigendomsdata in één klik Percelen CRM
6.445 m2 - 426 m
Eigenaar opvragen
NWK04-A-4186 (Noordwijkerhout)
- 2191 AB
ZYH KP yrCq2jxOTUpgrade naar KadastraleKaart Pro
Bekijk op Street View
Download DWG/DXF/Excel
kDQl3Gu9TlnEWBUpgrade naar KadastraleKaart Pro
rApXaLNofj2hUpgrade naar KadastraleKaart Pro
otdx7yyl7Upgrade naar KadastraleKaart Pro
QguZu PiXZUpgrade naar KadastraleKaart Pro
uxe CmAHpB8TX83pUpgrade naar KadastraleKaart Pro
xYM9HpjaKUpgrade naar KadastraleKaart Pro
cRnJ EQNfZGJeUpgrade naar KadastraleKaart Pro
F7vli0s0W 7k Upgrade naar KadastraleKaart Pro
btBbMae aiwnj Upgrade naar KadastraleKaart Pro
pC tc62BsKUpgrade naar KadastraleKaart Pro
21/07/2025

Percelen
Gebruik de zoekbalk of klik op een perceel om informatie over het perceel te bekijken.