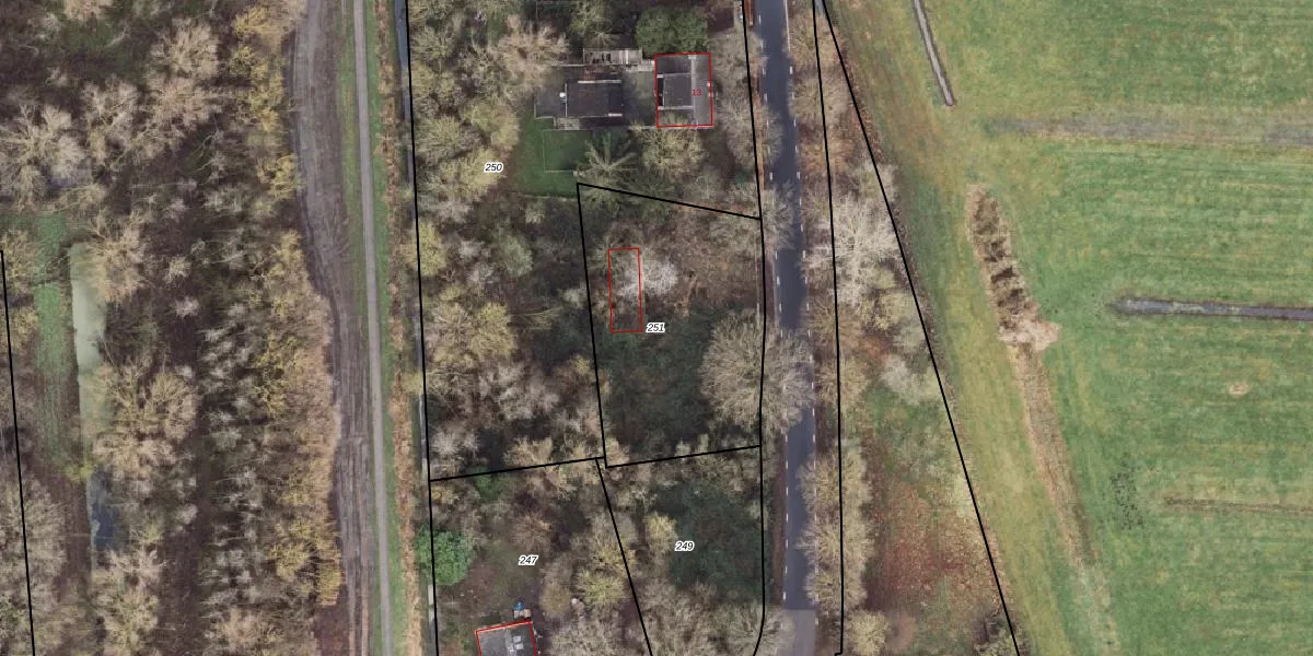
Perceel: NWS00-D-251
KadastraleKaart.com kan meer dan je denktOntdek meer ›
Filter op bestemming 50+ datasets Eigendomsdata in één klik Percelen CRM
Geen adressen bij dit perceel
1.010 m2 - 130 m
Eigenaar opvragen
NWS00-D-251 (Nieuweschans)
- Geen postcode aanwezig
FSjzKnqe DM9BfC9MC7md0Upgrade naar KadastraleKaart Pro
Bekijk op Street View
Download DWG/DXF/Excel
65OC9S9qUpgrade naar KadastraleKaart Pro
oY yn1PaQmB2a1BfMUpgrade naar KadastraleKaart Pro
PofvXbxJ9ksunk7piAnL Upgrade naar KadastraleKaart Pro
xzHmgX R7GrX8X3la5Upgrade naar KadastraleKaart Pro
u mR9i 1LKd7f4EK nFT1OrUpgrade naar KadastraleKaart Pro
0 VmEwYllwRUpgrade naar KadastraleKaart Pro
fkMaSQg6imG9oEVFHUpgrade naar KadastraleKaart Pro
UVRlzHiJ1 2RP u5k6NG rUpgrade naar KadastraleKaart Pro
3 cub3t K Upgrade naar KadastraleKaart Pro
GfZVDBmM68zIUpgrade naar KadastraleKaart Pro
14/11/1997

Percelen
Gebruik de zoekbalk of klik op een perceel om informatie over het perceel te bekijken.