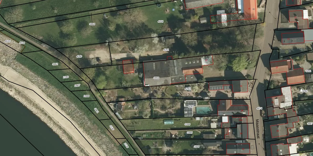
Perceel: OBT00-B-3959
KadastraleKaart.com kan meer dan je denktOntdek meer ›
Filter op bestemming 50+ datasets Eigendomsdata in één klik Percelen CRM
1.747 m2 - 253 m
Eigenaar opvragen
OBT00-B-3959 (Obbicht en Papenhoven)
- 6125 AT
Fp1j6HUbUwdt5divIgj1cwZ3ykeUpgrade naar KadastraleKaart Pro
Bekijk op Street View
Download DWG/DXF/Excel
SG WU1 DllWCa8Y2Upgrade naar KadastraleKaart Pro
x YH2U6Zd vOWeKxUpgrade naar KadastraleKaart Pro
l BdXx EUpgrade naar KadastraleKaart Pro
fSkXOw7yfnMXfkmZ lgVUpgrade naar KadastraleKaart Pro
Xzz5QkGnwrEO 9HO7as5bZaUpgrade naar KadastraleKaart Pro
fVFk1 0vkYUpgrade naar KadastraleKaart Pro
dO5eS sHbq4y Upgrade naar KadastraleKaart Pro
JM Qqt v14aTeUpgrade naar KadastraleKaart Pro
6JbH5CHtvPTULP4Upgrade naar KadastraleKaart Pro
m Zhjc9hpZGWnPUpgrade naar KadastraleKaart Pro
17/07/2009

Percelen
Gebruik de zoekbalk of klik op een perceel om informatie over het perceel te bekijken.